Archiwum ofert nieruchomości
Status: Archiwalna
Lokalizacja: Mysłowice, ul. Storczyków
Lokalizacja: Mysłowice, ul. Storczyków
Informacja o terenie niezabudowanym, przygotowywanym do zbycia pod zabudowę mieszkaniową.
-
Położenie
- Nieruchomość niezabudowana, położona w Mysłowicach – Laryszu przy ul. Storczyków.
- Adres: 41 - 404 Mysłowice, ul. Storczyków.
-
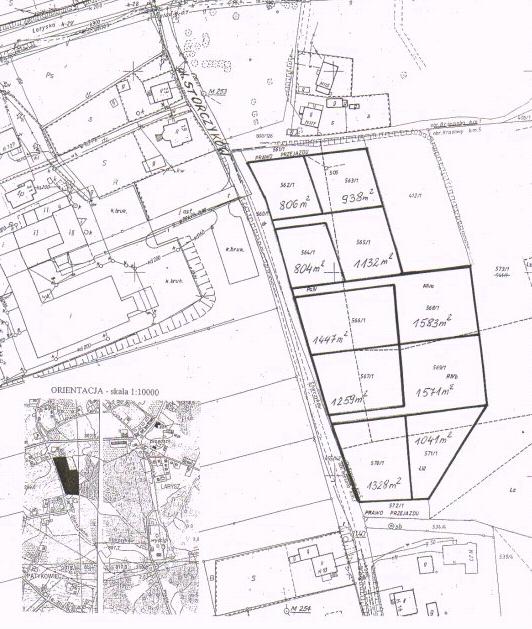
W skład nieruchomości wchodzą działki położone na karcie mapy 5 obrębu Krasowy, zapisane w księdze wieczystej nr KA1L/00021518/0 Sądu Rejonowego w Mysłowicach, przeznaczone pod zabudowę mieszkaniową, oznaczone numerami:
- nr 562/1 o pow. 806 m2
- nr 563/1 o pow. 938 m2
- nr 564/1 o pow. 804 m2
- nr 565/1 o pow. 1132 m2
- nr 566/1 o pow. 1447 m2
- nr 567/1 o pow. 1259 m2
- nr 568/1 o pow. 1583 m2
- nr 569/1 o pow. 1571 m2
- nr 570/1 o pow. 1328 m2
- nr 571/1 o pow. 1041 m2
-
Charakterystyka nieruchomości
- Właścicielem nieruchomości jest Gmina Miasto Mysłowice.
- Łączna powierzchnia nieruchomości wynosi 11909 m2.
-
Przeznaczenie w miejscowym planie zagospodarowania przestrzennego miasta:
Brak miejscowego planu zagospodarowania przestrzennego, a w Studium Uwarunkowań i Kierunków Zagospodarowania Przestrzennego Miasta Mysłowice uchwalonym przez Radę Miasta Mysłowice uchwałą Nr XXX/656/08 z dnia 30 października 2008r. działki położone są w strefie ozn. MNU – tereny zabudowy mieszkaniowo – usługowej o niskiej intensywności.
Zagospodarowanie terenu nastąpi na podstawie szczegółowych warunków, które zostaną określone na wniosek nabywcy w decyzji o warunkach zabudowy.
- Dojazd komunikacją indywidualną: ul. Laryską, ul.Storczyków.
- Dojazd komunikacją zbiorową: autobusami linii KZK GOP Nr 76, Nr 106, Nr 160, Nr 219, Nr 788, Nr 76N.
- Uzbrojenie-rejon nieruchomości uzbrojony jest w sieci: wodociągową, gazową, energetyczną i teletechniczną.
-
Sposób zagospodarowania
Charakterystyka: Grunty niezabudowane, winny być wykorzystane pod zabudowę mieszkaniową. Obsługa komunikacyjna zbywanych działek będzie się odbywać od ul. Storczyków. Dla działek: nr 563/1 i nr 571/1, które nie posiadają bezpośredniego dostępu do drogi publicznej ul. Storczyków, przy ich sprzedaży, zostanie ustanowione prawo przejazdu po gruncie sąsiednim. Dojazd prawnie zostanie zabezpieczony: dla działki nr 563/1 po działce gminnej nr 561/1, a dla działki nr 571/1 po działce gminnej nr 572/1. Nabywcy zobowiązani będą we własnym zakresie i na własny koszt: Wykonać badanie geotechniczne gruntu; Zrealizować niezbędne dla zamierzonej inwestycji uzbrojenie techniczne i uzyskać we własnym zakresie zapewnienia dostawy mediów oraz rozwiązać sposób odprowadzania i odbioru ścieków, a także wód opadowych; W razie konieczności dokonać wycinki zieleni (ewentualne koszty i opłaty z tym związane ponosi nabywca); Wykonać dojazd do działek nabytych w przetargu. -
Tryb zbycia.
Przetarg ustny nieograniczony na sprzedaż poszczególnych działek.
W przypadku zainteresowania nabyciem przedmiotowej działki informacji udziela
Wydział Gospodarki Nieruchomościami i Nadzoru Właścicielskiego
Urzędu Miasta w Mysłowicach
ul. Powstańców 1
tel. 32 317 12 36
e-mail: um@myslowice.pl
Szczegółowych informacji o możliwości zabudowy nieruchomości można uzyskać w
Wydziale Architektury i Budownictwa
Urzędu Miasta w Mysłowicach
Plac Wolności nr 2
tel. 32 317 13 24
Zdjęcia:









