Archiwum ofert nieruchomości
Status: Archiwalna
Lokalizacja: Mysłowice, ul. Długa
Powierzchnia: 1204 m2
Lokalizacja: Mysłowice, ul. Długa
Powierzchnia: 1204 m2
Informacja o terenie niezabudowanym, przygotowywanym do zbycia pod zabudowę mieszkaniową.
-
Położenie
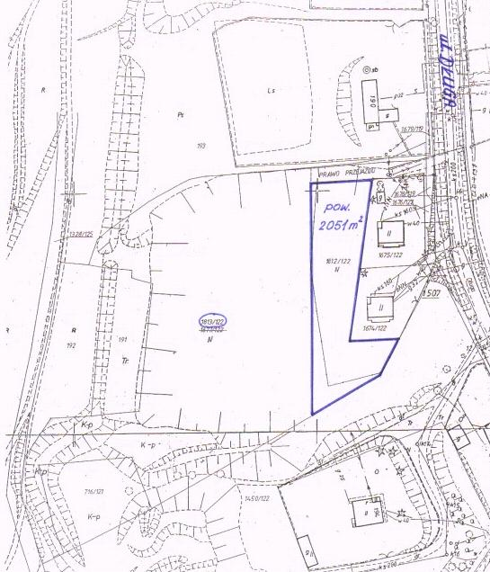
- Nieruchomość niezabudowana, położona w Mysłowicach - Dziećkowicach w rejonie ulic: Długiej.
- Adres: 41 - 409 Mysłowice, ul. Długa
- W skład nieruchomości wchodzi działka nr 1811/122 o pow. 1204 m2, położona na karcie mapy 3 obrębu Dziećkowice, zapisana w księdze wieczystej nr KA1L/00020583/9 Sądu Rejonowego w Mysłowicach, z przeznaczeniem pod zabudowę mieszkaniową.
-
Charakterystyka nieruchomości
- Właścicielem nieruchomości jest Gmina Miasto Mysłowice.
-
Łączna powierzchnia nieruchomości wynosi 2051 m2.
Przeznaczenie w miejscowym planie zagospodarowania przestrzennego miasta Mysłowice dla dzielnicy „Dziećkowice”:
MU III – tereny zabudowy jednorodzinnej w obszarze o podwyższonych walorach przyrodniczych i krajobrazowych. - Dojazd komunikacją indywidualną: ul. Długą.
- Dojazd komunikacją zbiorową: autobusami linii KZK GOP Nr 66, Nr 954.
- Uzbrojenie-rejon nieruchomości uzbrojony jest w sieci: wodociągową, kanalizacyjną, gazową i energetyczną.
-
Sposób zagospodarowania
Charakterystyka: Nieruchomość niezabudowana przeznaczona pod zabudowę mieszkaniową jednorodzinną, zgodnie z zapisami wyżej wym. miejscowego planu zagospodarowania przestrzennego. Działka posiada kształt nieregularny, znajduje się na niej ogrodzenie wykonane przez dotychczasowego dzierżawcę, rosną na niej wysokie drzewa, a w południowo – zachodniej części działki znajduje się skarpa porośnięta drzewami. Nieruchomość położona jest w rejonie ul. Długiej, w drugiej linii zabudowy za Nr 192-192A, nie posiada bezpośredniego dostępu do drogi publicznej ul. Długiej. Przy jej zbyciu zostanie ustanowione dla niej prawo przejazdu po gruncie sąsiednim tj. po działce gminnej nr 1813/122. Na terenie planowanego wjazdu od strony ul. Długiej (przy granicy z działką nr 1675/122) znajduje się słup transformatorowy, a za nim uskok terenu, a następnie od strony północnej znajduje się skarpa nachylona w kierunku południowym (spadek terenu ok. 2m). Na terenie dojazdu rosną wysokie drzewa i samosiejki kolidujące z wjazdem do działki nr 1812/122. Nabywca zobowiązany będzie we własnym zakresie i na własny koszt: dokonać wycinki istniejących drzew i krzewów kolidujących z wjazdem; zniwelować teren i wybudować mur oporowy od strony północnej (w przeciwnym wypadku nastąpi osunięcie się sąsiedniego gruntu prywatnego). Ponadto nabywca zobowiązany będzie na własny koszt na działce nr 1812/122:- Wykonać badanie geotechniczne gruntu;
- Dokonać ewentualnej wycinki drzew kolidujących z planowaną zabudową (koszty i opłaty z tym związane ponosi nabywca);
-
Zrealizować niezbędne dla zamierzonej inwestycji uzbrojenie techniczne i uzyskać we własnym zakresie zapewnienia dostawy mediów oraz odbioru ścieków i wód opadowych.
W księdze wieczystej nr KA1L/00032594/6, w której znajduje się m.in. działka nr 1812/122, w dziale III znajdują się obciążenia dot. służebności drogowej – obciążenia te nie dotyczą bezpośrednio zbywanego gruntu, ale go obciążają.
-
Tryb zbycia.
Przetarg ustny nieograniczony na sprzedaż działki.
W przypadku zainteresowania nabyciem przedmiotowej nieruchomości szczegółowych informacji udziela
Wydział Gospodarki Nieruchomościami i Nadzoru Właścicielskiego
Urzędu Miasta w Mysłowicach
Powstańców 1 tel. 32 317 12 36
e-mail: um@myslowice.pl
Szczegółowych informacji o możliwości zabudowy terenu można uzyskać w
Wydziale Architektury i Budownictwa
Urzędu Miasta w Mysłowicach
Plac Wolności 2, tel. 32 317 13 24
Zdjęcia:









