Archiwum ofert nieruchomości
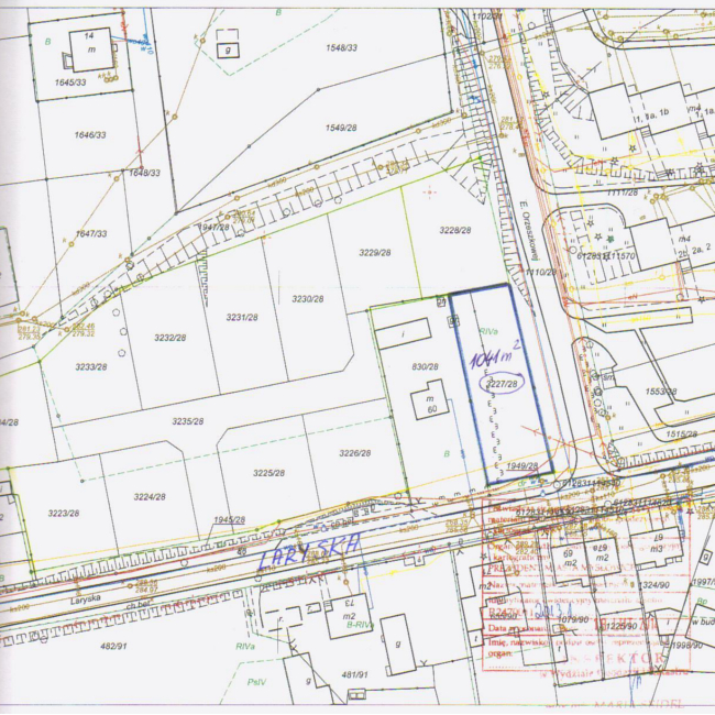
Lokalizacja: Mysłowice, ul. Elizy Orzeszkowej
Informacja o terenie niezabudowanym, przygotowanym do zbycia pod zabudowę mieszkaniową jednorodzinną
1. Położenie
- Nieruchomość niezabudowana, położona w Mysłowicach – Laryszu u zbiegu ulic: Elizy Orzeszkowej i Laryskiej.
- Adres: 41 - 404 Mysłowice, ul. Elizy Orzeszkowej.
W skład nieruchomości wchodzi działka nr 3227/28 o pow. 1041 m2położona na karcie mapy 3 obrębu Brzezinka, zapisana w księdze wieczystej nr KA1L/00011382/4 Sądu Rejonowego w Mysłowicach, przeznaczona pod zabudowę mieszkaniową jednorodzinną.
2. Charakterystyka nieruchomości
- Właścicielem nieruchomości jest Gmina Mysłowice.
- Powierzchnia nieruchomości wynosi 1041 m2.
- Przeznaczenie w miejscowym planie zagospodarowania przestrzennego miasta:
Brak miejscowego planu zagospodarowania przestrzennego. W obowiązującymStudium Uwarunkowań i Kierunków Zagospodarowania Przestrzennego Miasta Mysłowiceuchwalonym przez Radę Miasta Mysłowice uchwałą Nr XXX/656/08 z dnia 30 października 2008r. w/w działka położona jest w strefie ozn. MN – tereny zabudowy jednorodzinnej. Zagospodarowanie nieruchomości nastąpi na podstawie szczegółowych warunków, które zostaną określone na wniosek nabywcy w decyzji o warunkach zabudowy.
- Dojazd komunikacją indywidualną: ul. Laryską, ul. Elizy Orzeszkowej.
- Dojazd komunikacją zbiorową: autobusami linii KZK GOP Nr 76, Nr 76N, Nr 106, Nr 788.
- Uzbrojenie - rejon nieruchomości uzbrojony jest w sieci: wodociągową, kanalizacyjną, gazową, energetyczną i teletechniczną.
3. Sposób zagospodarowania
Charakterystyka: Nieruchomość niezabudowana przeznaczona pod zabudowę na cele mieszkaniowe. Na terenie zbywanej działki występują różnice wysokości – teren nachylony jest w kierunku północnym. Część nieruchomości porośnięta jest samosiejkami drzew i krzewów. Działka nr 3227/28 posiada kształt zbliżony do prostokąta, dłuższym bokiem przylegającym do ul. Elizy Orzeszkowej.Na działce tej znajdują się niestanowiące żadnej wartości rynkowej pozostałości ogrodzenia (słupki i elementy siatki). Wzdłuż południowej granicy działki nr 3227/28 przebiegają sieci uzbrojenia terenu (podziemna sieć energetyczna i teletechniczna). Przy wschodniej jej granicy stoi żelbetowy słup energetyczny, a nad południową częścią działki w kierunku wschód-zachód przebiega napowietrzna linia energetyczna. Nabywca zobowiązany będzie zapewnić właścicielom sieci i urządzeń dostęp do sieci, celem przeprowadzenia konserwacji lub usunięcia awarii. Przedmiotowa działka może być wykorzystana pod zabudowę z zastrzeżeniem, że projektowane obiekty budowlane nie mogą naruszać istniejącego uzbrojenia terenu i przy ich lokalizacji zostaną zachowane odpowiednie odległości od sieci.W przypadku gdyby jednak projektowana zabudowa kolidowała z przebiegającymi sieciami i urządzeniami, nabywca zobowiązany będzie na własny koszt dokonać ich przełożenia, po uzgodnieniu z gestorami sieci. Obsługa komunikacyjna zbywanej działki będzie się odbywać z ulicy Elizy Orzeszkowej - lokalizację zjazdu nabywca uzgodniz zarządcą drogi w odrębnym postępowaniu. Zagospodarowanie nieruchomości nastąpi na podstawie szczegółowych warunków, które zostaną określone na wniosek nabywcy w decyzji o warunkach zabudowy. Zbywana działka znajduje się na obszarze terenu górniczego, w związku z czym przy ustalaniu warunków zabudowy, konieczne będzie uzyskanie stanowiska właściwego państwowego organu nadzoru górniczego. Nabywca zobowiązany będzie na własny koszt i we własnym zakresie: Wykonać badanie geotechniczne gruntu;Uporządkować teren i usunąć resztki starego ogrodzenia; Dokonać wycinki zieleni, po wcześniejszym uzyskaniu decyzji zezwalającej na usunięcie drzew i krzewów kolidujących z planową zabudową (ewentualne opłaty z tym związane ponosi nabywca); Uzyskać aktualne uzgodnienia branżowe przebiegu sieci i urządzeń uzbrojenia terenu;Zrealizować niezbędne dla zamierzonej inwestycji uzbrojenie techniczne oraz uzyskać we własnym zakresie zapewnienia dostawy mediów i odbioru ścieków, a także wód opadowych; Wykonać wjazd na teren działki w uzgodnieniu z zarządcą drogi.
4. Tryb zbycia.
Przetarg ustny nieograniczony na sprzedaż działki.
W przypadku zainteresowania nabyciem przedmiotowej nieruchomości szczegółowych informacji udziela Wydział Gospodarki Nieruchomościami i Nadzoru Właścicielskiego Urzędu Miasta w Mysłowicach przy ul. Powstańców 1 tel. 32 31 71 236. Szczegółowych informacji o możliwości zabudowy działki można uzyskać w Wydziale Architektury i Budownictwa Urzędu Miasta w Mysłowicach przy Placu Wolności 2, tel. 32 31 71 324 (w godz. pracy urzędu).









