Archiwum ofert nieruchomości
Lokalizacja: Mysłowice, ul. Wiejska
Informacja o terenie niezabudowanym, przygotowanym do zbycia pod zabudowę mieszkaniową jednorodzinną.
1. Położenie
- Nieruchomość niezabudowana, położona w Mysłowicach – Laryszu przy ul. Wiejskiej pomiędzy Nr 8, a Nr 8h.
- Adres: 41 - 404 Mysłowice, ul. Wiejska.
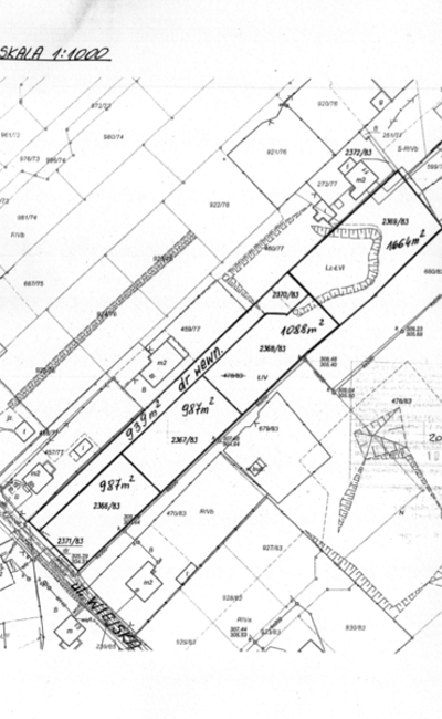
- W skład nieruchomości wchodzą działkipołożone na karcie mapy 1 obrębu Brzezinka, zapisane w księdze wieczystej nr KA1L/00004237/1 Sądu Rejonowego w Mysłowicach, przeznaczone pod zabudowę mieszkaniową jednorodzinną, oznaczone numerami:
1) nr 2366/83 o pow. 987 m2
2) nr 2367/83 o pow. 987 m2
3) nr 2368/83 o pow. 1088 m2
4) nr 2369/83 o pow. 1664 m2
oraz działka nr 2370/83 o pow. 939 m2, przeznaczona pod wewnętrzną drogę dojazdowądo w/w działek.
2. Charakterystyka nieruchomości
- Właścicielem nieruchomości jest Gmina Mysłowice.
- Łączna powierzchnia nieruchomości wynosi 5665 m2.
- Przeznaczenie w miejscowym planie zagospodarowania przestrzennego miasta:
Zgodnie z uchwalonym przez Radę Miasta Mysłowice uchwałą nr LIV/557/2005 z dnia 24 listopada 2005r. miejscowym planem zagospodarowania przestrzennego dzielnicy „Morgi Zachód” w Mysłowicach przedmiotowe działki posiadają przeznaczenie: MU II – tereny mieszkaniowo - usługowe - zabudowa jednorodzinna z dopuszczeniem usług.Dodatkowo przez działki nr 2368/83 i nr 2370/83 (we wschodniej ich części) oraz przez działkę nr 2369/83 (w zachodniej jej części) przebiega strefa ochronna sieci 110 kV.Szczegółowe ustalenia warunków zagospodarowania terenu w obszarze stref ochronnych sieci infrastruktury technicznej, należy uzgadniać z zarządcami mediów dla których utworzono strefę.Zagospodarowanie nieruchomości nastąpi na podstawie zapisów miejscowego planu zagospodarowania przestrzennego.
- Dojazd komunikacją indywidualną: ul. Laryską, Cichą, Wiejską.
- Dojazd komunikacją zbiorową: autobusami linii KZK GOP Nr 76, Nr 106, Nr 160, Nr 219, Nr 788, Nr 76N do ul. Laryskiej.
- Uzbrojenie-rejon nieruchomości uzbrojony jest w sieci: energetyczną, teletechniczną, wodociągową, kanalizacyjną i gazową (gaz w rejonie budynku Nr 10a przy ul. Wiejskiej).
3. Sposób zagospodarowania
Charakterystyka: Działki niezabudowane przeznaczone pod zabudowę na cele zgodne z zapisami wyżej wym. miejscowego planu zagospodarowania przestrzennego. Zbywane działki posiadają kształt foremny. Teren działek jest płaski, za wyjątkiem działki nr 2369/83, na której znajduje się zagłębienie terenu porośnięte wysoką roślinnością, co wskazuje, że przy obfitych opadach deszczu mogą się tam gromadzić wody opadowe. Zagłębienie to koliduje z planowanym na nin. działkę wjazdem – działka nr 2369/83 wymaga wyrównania i uporządkowania. Ponieważ planowane do zbycia pozostałe działki znajdują się w sąsiedztwie działki nr 2369/83, nabywcy wszystkich w/w działek zobowiązani będą we własnym zakresie i na własny koszt wykonać badanie geotechniczne gruntu, celem sprawdzenia poziomu wód gruntowych i możliwości zabudowy działek. W przypadku konieczności dokonania odwodnienia działek, nabywcy zobowiązani będą wykonać je na własny koszt. Wzdłuż południowej granicy działek wym. w poz. od 1 do 3 (poza działkami) przebiega sieć kanalizacji sanitarnej. We wschodniej granicy działek nr 2368/83 i nr 2370/83 przebiega napowietrzna linia energetyczna wysokiego napięcia 110 kV, dla której strefa ochronna wynosi po 15 m z obu stron sieci. Strefa ochronna od nin. sieci zachodzi również na zachodnią część działki nr 2369/83. W północno-wschodnim narożu działki nr 2369/83 przebiega również sieć gazowa i wodociągowa – przyłącze do budynku Nr 11 przy ul. H.Sienkiewicza. Nin. grunty mogą być wykorzystane pod zabudowę z zastrzeżeniem, że projektowane obiekty budowlane nie mogą naruszać istniejącego uzbrojenia podziemnego oraz nadziemnego terenu i przy ich lokalizacji zostaną zachowane odpowiednie odległości od sieci. Nabywcy zobowiązani będą zapewnić właścicielom sieci dostęp do sieci, celem przeprowadzenia konserwacji lub usunięcia awarii. Obsługa komunikacyjna działek: nr 2366/83, nr 2367/83, nr 2368/83 i nr 2369/83 będzie się odbywać z ul. Wiejskiej, poprzez działkę nr 2370/83, wydzieloną pod wewnętrzną drogę dojazdową do tych działek.Lokalizację zjazdu z ul. Wiejskiej nabywcy uzgodnią z zarządcą drogi w odrębnym postępowaniu. Działki wym. w poz. od 1 do 4, przeznaczone pod zabudowę mieszkaniową, zostaną sprzedane wraz z udziałem 1/4 części w działce nr 2370/83, przeznaczonej pod drogę dojazdową. Zbywane działki znajdują się na obszarze terenu górniczego, w związku z czym wznoszenie trwałych budowli i urządzeń, zgodnie z zapisami planu miejscowego, wymaga uzgodnienia z właściwym organem państwowego nadzoru górniczego.
Nabywcy zobowiązani będą we własnym zakresie i na własny koszt:
- Wykonać badanie geotechniczne gruntu i w razie konieczności dokonać odwodnienia działek;
- W razie potrzeby wyrównać i uporządkować terenoraz dokonać ewentualnej wycinki drzew i krzewów kolidujących z planowaną zabudową (koszty i opłaty z tym związane ponosi nabywca);
- Wykonać uzgodnienia branżowe przebiegu sieci uzbrojenia terenu i zrealizować niezbędne dla zamierzonej inwestycji uzbrojenie techniczne oraz uzyskać we własnym zakresie zapewnienia dostawy mediów i odbioru ścieków, a także wód opadowych;
- Wspólnie wykonać na działce nr 2370/83drogę dojazdową do działek nabytych w przetargu.
4. Tryb zbycia.
Przetarg ustny nieograniczony na sprzedaż poszczególnych działekwraz z udziałem 1/4 części w działce nr 2370/83, przeznaczonej pod wewnętrzną drogę dojazdową.
W przypadku zainteresowania nabyciem przedmiotowych nieruchomości szczegółowych informacji udziela Wydział Gospodarki Nieruchomościami i Nadzoru Właścicielskiego Urzędu Miasta w Mysłowicach przy ul. Powstańców 1, tel. 32 31 71 236. Szczegółowych informacji o możliwości zabudowy działek można uzyskać w Wydziale Architektury i Budownictwa Urzędu Miasta w Mysłowicach przy Placu Wolności 2, tel. 32 31 71 324 (w godz. pracy urzędu).









