Archiwum ofert nieruchomości
Informacja o terenie niezabudowanym, przygotowanym do zbycia pod zabudowę mieszkaniową.
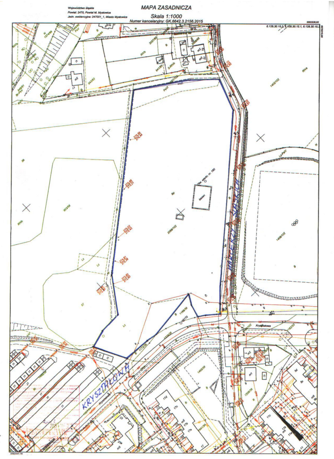
1. Położenie
- Nieruchomość niezabudowana, położona w Mysłowicach – Wesołej u zbiegu ulic: Harcerzy Śląskich i Kryształowej.
- Adres: 41 - 408 Mysłowice, ul. Harcerzy Śląskich.
- W skład nieruchomości wchodzi działkanr 2088/102 o pow. 22004 m2,położona na karcie mapy 3 obrębu Wesoła, zapisana w księdze wieczystej nr KA1L/00022964/8 Sądu Rejonowego w Mysłowicach, przeznaczona pod zabudowę mieszkaniową.
2. Charakterystyka nieruchomości
- Właścicielem nieruchomości jest Gmina Mysłowice.
- Łączna powierzchnia nieruchomości wynosi 22004 m2.
- Przeznaczenie w miejscowym planie zagospodarowania przestrzennego miasta:
Brak miejscowego planu zagospodarowania przestrzennego, a wobowiązującymStudium Uwarunkowań i Kierunków Zagospodarowania Przestrzennego Miasta Mysłowiceuchwalonym przez Radę Miasta Mysłowice uchwałą Nr XXX/656/08 z dnia 30 października 2008 r. w/w działka położona jest w strefie ozn. MN – tereny zabudowy jednorodzinnej.
Nin. działka może być wykorzystana pod budownictwo mieszkaniowe jednorodzinne w zabudowie zwartej (np. zabudowa szeregowa) lub mniej zintensyfikowanej - zabudowa wolnostojąca. Ze względu na to, iż obszar działki jest większy niż 2 ha, jej zagospodarowanie może wymagać uzyskania uprzednio decyzji „środowiskowej”. Zagospodarowanie nieruchomości nastąpi na podstawie szczegółowych warunków, które zostaną określone w decyzji o warunkach zabudowy, wydanej na wniosek nabywcy.
- Dojazd komunikacją indywidualną: ul. Kryształową, ul. Harcerzy Śląskich.
- Dojazd komunikacją zbiorową: autobusami linii KZK GOP Nr 76, 76N, 77, 77N, 106,160, 219, 672, 788 i 954 do ul. Jana Dzierżonia.
- Uzbrojenie - rejon nieruchomości uzbrojony jest w sieci: wodociągową, gazową, energetyczną, teletechniczną, kanalizacji sanitarnej i deszczowej.
3. Sposób zagospodarowania
Charakterystyka: Nieruchomość niezabudowana, przeznaczona do sprzedaży pod zabudowę mieszkaniową, zgodnie z zapisami w/w Studium. Nin. działka objętajest wpływami aktualnej eksploatacji górniczej oraz płytkiej eksploatacji dokonanej w przeszłości, w dużejczęści porośnięta jest drzewami i krzewami, znajdują się na niej pozostałości po basenie oraz, wg mapy,otwór wiertniczy nr 160. Przyszły nabywca zobowiązany będzie we własnym zakresie sprawdzić pod względem geofizycznym wykazany na mapachotwór wiertniczy nr 160, ze względu na brak danych nt. nin. otworu wiertniczego (zarówno w WydzialeOchrony Środowiska Urzędu Miasta w Mysłowicach, jak i w Dziale Mierniczo - Geologicznym KWK Mysłowice - Wesoła). Ze względu na istnienie na mapie w/w otworu wiertniczego, jakakolwiek zabudowa tego terenu, musi uwzględniać zachowanie odpowiedniej odległości od nin. otworu. Przez zbywaną nieruchomość przebiegają sieci uzbrojenia podziemnego terenu: przy północnej jej granicy przebiega stalowy wodociąg DN50, w południowej jej części, od strony ul. Kryształowej, przebiega czynna stara sieć kanalizacji sanitarnej ks300, a przy zachodniej granicy w/w działki znajdują się studzienki kanalizacyjne. Nin. grunt może być wykorzystany pod zabudowę z zastrzeżeniem, że projektowane obiekty budowlane nie mogą naruszać istniejącego uzbrojenia podziemnego terenu i przy ich lokalizacji zostaną zachowane odpowiednie odległości od sieci. W przypadku, gdyby jednak projektowana zabudowa kolidowała z przebiegającymi sieciami, nabywca dokona ich przełożenia na własny koszt, po uzgodnieniu z gestorem sieci. Nabywca zobowiązany będzie zapewnić właścicielowi sieci dostęp do sieci, celem przeprowadzenia konserwacji lub usunięcia awarii. Obsługa komunikacyjna zbywanej nieruchomości może się odbywać z drogi publicznej gminnej – ulicy Harcerzy Śląskich i ulicy Kryształowej.Lokalizację zjazdu nabywca uzgodni z zarządcą drogi w odrębnym postępowaniu. Zagospodarowanie nieruchomości nastąpi na podstawie szczegółowych warunków, które zostaną określone na wniosek nabywcy w decyzji o warunkach zabudowy. Zbywana działka znajduje się na obszarze terenu górniczego, w związku z czym przy ustalaniu warunków zabudowy, konieczne będzie uzyskanie stanowiska właściwego państwowego organu nadzoru górniczego. Nabywca zobowiązany będzie we własnym zakresie i na własny koszt: Wykonać badanie geotechniczne gruntu; Sprawdzić pod względem geofizycznym w terenie wykazany na mapachotwór wiertniczy nr 160; Dokonać wycinki zieleni, po wcześniejszym uzyskaniu decyzji zezwalającej na usunięcie drzew i krzewów kolidujących z planową inwestycją (ewentualne opłaty z tym związane ponosi nabywca); W razie potrzeby dokonać drenażu i odwodnienia nieruchomości; Uporządkować teren oraz wykonać wjazd na działkę; Zrealizowaćniezbędne dla zamierzonej inwestycji uzbrojenie techniczne i uzyskać we własnym zakresie zapewnienia dostawy medióworazodbioru ścieków i wód opadowych.
4. Tryb zbycia
Przetarg ustny nieograniczony na sprzedaż nieruchomości (w całości).
W przypadku zainteresowania nabyciem przedmiotowej nieruchomości szczegółowych informacji udziela Wydział Gospodarki Nieruchomościami Urzędu Miasta w Mysłowicach przy ul. Powstańców 1 tel. 32 31 71 236. Szczegółowych informacji o możliwości zabudowy działki można uzyskać w Wydziale Architektury i Budownictwa Urzędu Miasta w Mysłowicach przy Placu Wolności 2, tel. 32 31 71 324 (w godz. pracy urzędu).









