Archiwum ofert nieruchomości
Informacja
o terenie niezabudowanym, przygotowanym do zbycia pod zabudowę mieszkaniową jednorodzinną.
1. Położenie
Nieruchomości niezabudowane, położone w Mysłowicach – Kosztowach przy ul. Białobrzeskiej.
Adres: 41 - 409 Mysłowice, ul. Białobrzeska.
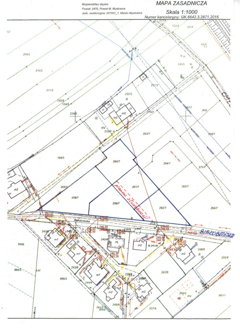
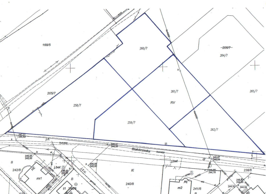
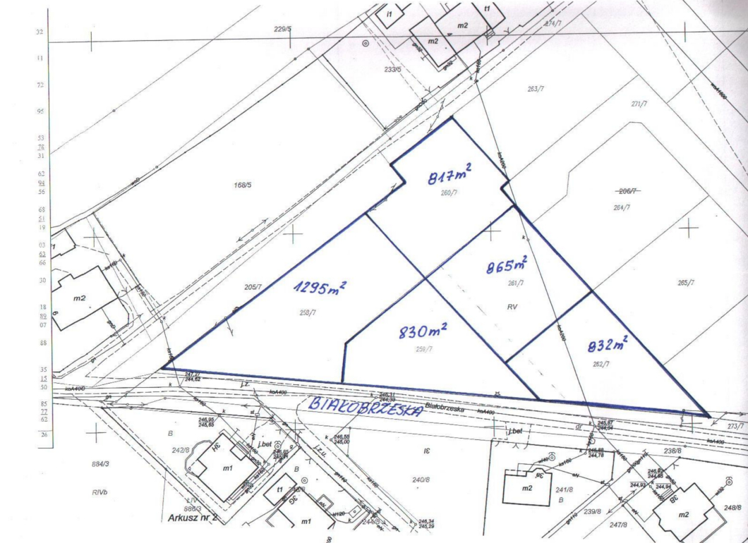
W skład nieruchomości wchodzą działki, na karcie mapy 1 obrębu Kosztowy, zapisane w księdze wieczystej nr KA1L/00026502/0 Sądu Rejonowego w Mysłowicach, przeznaczone pod budownictwo mieszkaniowe jednorodzinne w zabudowie wolnostojącej, oznaczone numerami:
1) działka nr 258/7 o pow. 1295 m2,
2) działka nr 259/7 o pow. 830 m2,
3) działka nr 262/7 o pow. 832 m2,
4) działka nr 261/7 o pow. 865 m2,
5) działka nr 260/7 o pow. 817 m2.
2. Charakterystyka działki
Właścicielem nieruchomości jest Gmina Mysłowice.
Łączna powierzchnia nieruchomości wynosi 4639 m2.
Przeznaczenie w miejscowym planie zagospodarowania przestrzennego:
Zgodnie z uchwalonym przez Radę Miasta Mysłowice uchwałą nr LXV/659/06 z dnia 30 marca 2006 r. miejscowym planem zagospodarowania przestrzennego dzielnicy "Brzezinka Południowa" w Mysłowicach, w/w działki posiadają przeznaczenie MU IV - tereny zabudowy mieszkaniowej z dopuszczeniem usług jako funkcji uzupełniającej. Zagospodarowanie nieruchomości nastąpi na podstawie zapisów nin. planu miejscowego.
- Dojazd komunikacją indywidualną: od ul. Kosztowskiej - ul. Dzióbka i ul. Białobrzeską.
- Dojazd komunikacją zbiorową: autobusami linii KZK GOP Nr 35, Nr 66, Nr 77, Nr 77N, Nr 149, Nr 223, Nr 931 i Nr 995 do ul. Kosztowskiej.
Uzbrojenie-rejon nieruchomości uzbrojony jest w sieci: gazową, energetyczną, teletechniczną i kanalizacji ogólnospławnej. Sieć wodociągowa w ulicy Białobrzeskiej znajduje się w dalszej odległości (w rejonie Nr 10). Zgodnie z zapisami planu miejscowego do czasu realizacji systemowej sieci wodociągowej dopuszcza się budowę studni i ujęć wód głębinowych.
3. Sposób zagospodarowania
Charakterystyka: Nieruchomości niezabudowane, przeznaczone pod zabudowę mieszkaniową jednorodzinną, zgodnie z zapisami wyżej wym. miejscowego planu zagospodarowania przestrzennego. Na zbywanych działkach znajdują się sieci oraz urządzenia uzbrojenia podziemnego i nadziemnego terenu. Wzdłuż północno – zachodniej granicy działki nr 258/7 przebiega napowietrzna linia teletechniczna oraz odcinek innej sieci niezidentyfikowanej niD. W pobliżu tej granicy (poza działką) stoi drewniany słup teletechniczny. Sieć teletechniczna przebiega również nad południowo – zachodnią częścią nin. działki. Ponadto w zachodnim narożu działki nr 258/7, przebiega odcinek kanalizacji sanitarnej ks 160 (przyłącze do budynku Nr 6). Przez działki nr 262/7 i nr 261/7 (w kierunku północ – południe) przebiega sieć kanalizacji ogólnospławnej koA200 (na działce nr 261/7 dodatkowo znajduje się studzienka kanalizacyjna). Sieć ta przecina również południowo – wschodnią granicę działki nr 260/7. Przez działkę nr 260/7, w północno – zachodniej jej części, przebiega napowietrzna linia teletechniczna, a w pobliżu północno – zachodniej granicy nin. działki stoi słup tej sieci. Zbywane działki mogą być wykorzystane pod zabudowę z zastrzeżeniem, że projektowane obiekty budowlane nie mogą naruszać istniejącego uzbrojenia podziemnego oraz nadziemnego terenu i przy ich lokalizacji zostaną zachowane odpowiednie odległości od sieci. W przypadku gdyby jednak, projektowana zabudowa kolidowała z przebiegającymi sieciami, nabywcy zobowiązani będą we własnym zakresie i na własny koszt dokonać przełożenia sieci, po uzgodnieniu z ich gestorami.
Obsługa komunikacyjna działek: nr 258/7, nr 259/7 i nr 262/7, będzie się odbywać bezpośrednio z ul. Białobrzeskiej. Natomiast obsługa komunikacyjna działki nr 261/7 będzie się odbywać od ulicy Białobrzeskiej po działce nr 262/7, a obsługa komunikacyjna działki nr 260/7 będzie się odbywać od ul. Białobrzeskiej po działkach nr 262/7 i nr 261/7 - pasem gruntu o szerokości 5 m przebiegającym wzdłuż zachodniej granicy działek nr 262/7 i nr 261/7, na zasadzie służebności. Przy sprzedaży nin. działek zostaną ustanowione odpowiednie służebności gruntowe (dojazd do działek nabywcy wykonają we własnym zakresie). Lokalizację zjazdu z ul. Białobrzeskiej nabywcy uzgodnią z zarządcą drogi w odrębnym postępowaniu.
Nabywcy zobowiązani będą we własnym zakresie i na własny koszt:
Wykonać badanie geotechniczne gruntu;
W razie potrzeby dokonać drenażu i odwodnienia nieruchomości oraz uporządkować teren;
W razie konieczności dokonać ewentualnej wycinki drzew i krzewów kolidujących z planowaną zabudową (koszty i opłaty z tym związane ponoszą nabywcy);
Wykonać uzgodnienia branżowe przebiegu sieci uzbrojenia terenu oraz zrealizować niezbędne dla zamierzonej inwestycji uzbrojenie techniczne i uzyskać we własnym zakresie zapewnienia dostawy mediów oraz odbioru ścieków, a także wód opadowych;
Dokonać przebudowy sieci uzbrojenia terenu, w uzgodnieniu z właścicielem sieci, w przypadku gdy zajdzie taka konieczność.
4.Tryb zbycia
Przetarg ustny nieograniczony na sprzedaż poszczególnych działek.
W przypadku zainteresowania nabyciem przedmiotowych nieruchomości szczegółowych informacji udziela Wydział Gospodarki Nieruchomościami Urzędu Miasta w Mysłowicach przy ul. Powstańców 1, tel. 32 31 71 236. Szczegółowych informacji o możliwości zabudowy działek można uzyskać w Wydziale Architektury i Budownictwa Urzędu Miasta w Mysłowicach przy Placu Wolności 2, tel. 32 31 71 324 (w godz. pracy urzędu).









