2015
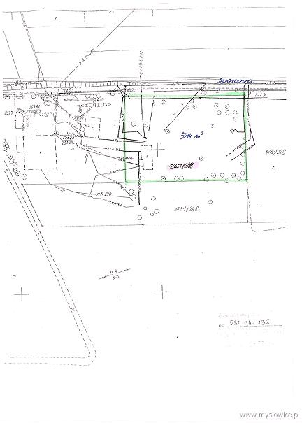
Powierzchnia: 5214 m2
Prezydent Miasta Mysłowice wykonujący zadania z zakresu administracji rządowej ogłasza trzeci ustny przetarg nieograniczony na sprzedaż nieruchomościstanowiącej własność Skarbu Państwa, obejmującej działkę oznaczoną numerem ewidencyjnym 2127/248 o pow. 5214 m2, na karcie mapy 4 obrębu Brzezinka, zapisanej wksiędze wieczystej Brzezinka wykaz L - 1054. Nieruchomość jest niezabudowana, położona przy ulicy Dworcowej w Mysłowicach i przeznaczona na cele produkcyjno - usługowe. Teren posiada pokrycie miejscowym planem zagospodarowania przestrzennego „Brzezinka Południowa”, zatwierdzonymuchwałą Rady Miasta Mysłowicez dnia 30 marca 2006 r. Nr LXV/659/06, którywyznacza dla niego strefę oznaczoną symbolem PU – tereny produkcyjno – usługowe.Pierwszy przetarg na sprzedaż przedmiotowej nieruchomości zorganizowany w dniu 9 września 2014 r. oraz drugi zorganizowany w dniu 20 stycznia 2015 r. zakończyły się wynikami negatywnymi.
Cena wywoławcza nieruchomości wynosi 500.000,- zł
(słownie złotych: pięćset tysięcy)
Nieruchomość nie jest obciążona prawami osób trzecich i nie jest przedmiotem zobowiązań. Działy III i IV księgi wieczystej prowadzonej dla tej nieruchomości nie zawierają wpisów.
Przetarg odbędzie się w dniu 16 czerwca 2015 r. o godz. 10.00
w sali nr 204 Urzędu Miasta Mysłowice przy ul. Powstańców 1
W przetargu mogą wziąć udział osoby fizyczne i prawne, które najpóźniej do dnia 10 czerwca 2015 r. wniosą w formie pieniężnej wadium w wysokości 100.000,- zł (słownie złotych: sto tysięcy)na konto: Urząd Miasta Mysłowice Nr 13 1050 1214 1000 0023 5654 6974 ING Bank Śląski.Za potwierdzenie wpłaty przyjmuje się datę uznania rachunku bankowego Urzędu Miasta Mysłowice. Wysokość postąpienia w przetargu nie może być mniejsza niż 1% ceny wywoławczej nieruchomości, z zaokrągleniem w górę do pełnych dziesiątek złotych. Cena za nieruchomość osiągnięta w przetargu płatna będzie w całości nie później niż do dnia zawarcia umowy notarialnej, gdzie za potwierdzenie wpłaty przyjmuje się datę uznania rachunku bankowego Urzędu Miasta Mysłowice. Sprzedaż nieruchomości podlegać będzie opodatkowaniu podatkiem VAT według 23% stawki, płatnym w wyżej określonym terminie.
Wadium wniesione przez uczestnika przetargu, który wygra przetarg zaliczone zostanie na poczet ceny nabycia nieruchomości, w dniu zapłaty pozostałej części ceny sprzedaży. Pozostałym uczestnikom wadium zostanie zwrócone w ciągu 3 dni od dnia zamknięcia przetargu na konto przez nich wskazane. Osoba ustalona jako nabywca nieruchomości zostanie zawiadomiona o miejscu i terminie zawarcia notarialnej umowy sprzedaży najpóźniej w ciągu 21 dni od dnia rozstrzygnięcia przetargu. Wyznaczony termin nie może być krótszy niż 7 dni od dnia doręczenia zawiadomienia. Jeżeli nabywca nieruchomości nie stawi się bez usprawiedliwienia w miejscu i terminie podanych w zawiadomieniu, organizator przetargu może odstąpić od zawarcia umowy, a wpłacona kwota wadium nie będzie podlegać zwrotowi.
Przed otwarciem przetargu jego uczestnik winien przedłożyć Komisji Przetargowej:
- Dowód wniesienia wadium (oryginał).
- Dokument tożsamości.
- Aktualny odpis lub zaświadczenie z właściwego rejestru wystawione nie wcześniej niż 6 miesięcy przed upływem terminu przetargu w przypadku, gdy nieruchomość będzie nabywana przez uczestnika przetargu w ramach prowadzonej działalności gospodarczej, a w przypadku wspólników spółek cywilnych także umowę spółki cywilnej.
- Oryginał pełnomocnictwa potwierdzonego notarialnie, upoważniającego do działania na każdym etapie postępowania przetargowego, w przypadku osoby reprezentującej uczestnika przetargu.
- Pisemną zgodę współmałżonka na odpłatne nabycie nieruchomości, w przypadku uczestnika przetargu zamierzającego samodzielnie licytować nieruchomość nabywaną do majątku wspólnego.
- Oświadczenie, że oferent zapoznał się z dokumentacją zbywanej nieruchomości, jej stanem faktycznym i prawnym oraz warunkami przetargu.
- Oświadczenie, że oferent zapoznał się z rozporządzeniem Rady Ministrów z dnia 14 września 2004 roku w sprawie sposobu i trybu przeprowadzania przetargów oraz rokowań na zbycie nieruchomości (tekst jednolity Dz.U. z 2014 r. poz. 1490).
- Numer rachunku bankowego, na które zostanie zwrócone wadium, w przypadku nie wygrania przetargu.
Cudzoziemcy mogą nabywać nieruchomości zgodnie z obowiązującymi przepisami ustawy o nabywaniu nieruchomości przez cudzoziemców
Informacje dotyczące zbywanej nieruchomościoraz warunki realizacji zamierzeń inwestycyjnych:
Nieruchomość ma kształt prostokąta, wymaga niwelacji i porośnięta jest samosiejkami drzew i krzewów. Na gruncie znajdują się ruiny po dawnym budynku i urządzeniach stacji energetycznej zasilającej nieczynną stację uzdatniania wody, nie przedstawiające żadnej wartości użytkowej. Przy wschodniej granicy działki zlokalizowany jest słup kratowy oraz przebiega napowietrzna linia energetyczna średniego napięcia 6 KV, które stanowią odrębny od gruntu przedmiot własności. Nabywca zobowiązany będzie do ustanowienia służebności przesyłu na rzecz ENION GRUPA TAURON Spółki Akcyjnej z siedzibą w Krakowie w zakresie i na zasadach ustalonych z właścicielem sieci. W najbliższym sąsiedztwie znajdują się tereny niezabudowane, częściowo zadrzewione i zakrzewione, od strony zachodniej znajdują się nieczynne zabudowania dawnej stacji uzdatniania wody Brzezinka, a od strony południowej obiekty centrum logistycznego. Dojazd do nieruchomości odbywa się drogą gruntową od ulicy Cmentarnej. Do obsługi komunikacyjnej nieruchomości będą miały zastosowanie zasady i warunki obowiązującego miejscowego planu zagospodarowania przestrzennego (m.in. Rozdziału 4 pkt 12). Projektowana jest przebudowa ulicy Cmentarnej z wyodrębnieniem zjazdu do działki nr 2127/248.
Zabudowa przedmiotowej nieruchomości oraz jej zagospodarowanie nastąpi ma podstawie zapisów planu miejscowego dla tego terenu. Nabywca własnym staraniem i na własny koszt, zobowiązany będzie do zrealizowania uzbrojenia technicznego dla zamierzonej inwestycji, zapewnienia dostawy mediów, uporządkowania terenu i rozebrania ruin po dawnym budynku i urządzeniach stacji energetycznej, a w razie takiej koniecznościdokonania wycinki istniejącej zieleni. W przypadku kolizji projektowanej zabudowy z przebiegającymi sieciami uzbrojenia technicznego, nabywca na własny koszt i we własnym zakresie dokona ich przekładki po przeprowadzeniu uzgodnień w tym zakresie z właścicielami sieci.
Prezydent Miasta Mysłowice wykonujący zadania z zakresu administracji rządowej nie będzie ponosił żadnej odpowiedzialności, w przypadku wystąpienia w obrębie nieruchomości sieci uzbrojenia podziemnego nie wykazanych na opracowanej dla tego terenu mapie zasadniczej, a kolidujących
z zaplanowaną inwestycją.
Treść ogłoszenia dostępna jest na stronie internetowej miasta oraz na stronie Biuletynu Informacji Publicznej o przetargach na sprzedaż lub dzierżawę nieruchomości, a także na tablicy ogłoszeń Wydziału Gospodarki Nieruchomościami znajdującej się na II piętrze Urzędu Miasta Mysłowice. Z dokumentacją zbywanej nieruchomości można zapoznać się w pokoju nr 302 Wydziału Gospodarki Nieruchomościami, który udziela także informacji o organizowanym przetargu w godzinach pracy urzędu lub pod nr tel. (32) 31 71 236.
Szczegółowych informacji o możliwości zabudowy przedmiotowej nieruchomości można uzyskać w Wydziale Architektury i Budownictwa Urzędu Miasta Mysłowiceprzy Placu Wolności Nr 2 lub pod tel. nr (32) 31 71 324, w godzinach pracy urzędu.
Treść ogłoszenia (36.43 KB)









