2015
Powierzchnia: 1041 m2
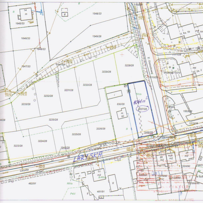
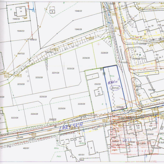
Prezydent Miasta Mysłowice ogłasza trzeci ustny przetarg nieograniczony na sprzedaż niezabudowanej działki nr 3227/28 o pow. 1041 m2, stanowiącej własność Gminy Mysłowice, położonej w Mysłowicach - Laryszu u zbiegu ulic: Elizy Orzeszkowej i Laryskiej, na karcie mapy 3 obrębu Brzezinka, zapisanej w księdze wieczystej nr KA1L/00011382/4Sądu Rejonowego w Mysłowicach, z przeznaczeniem pod zabudowę mieszkaniową jednorodzinną.
Przeprowadzone ustne przetargi nieograniczone na zbycie nin. nieruchomości tj. pierwszy przetarg w dniu 14.10.2014 r., a drugi przetarg w dniu 31.03.2015 r. zakończyły się wynikiem negatywnym.
W/w działka nie posiada opracowanego miejscowego planu zagospodarowania przestrzennego, a w obowiązującym Studium Uwarunkowań i Kierunków Zagospodarowania Przestrzennego Miasta Mysłowiceuchwalonym przez Radę Miasta Mysłowice uchwałą Nr XXX/656/08 z dnia 30 października 2008 r. położona jest w strefie ozn. MN – tereny zabudowy jednorodzinnej. Zagospodarowanie terenu nastąpi na podstawie szczegółowych warunków, które zostaną określone na wniosek nabywcy w decyzji o warunkach zabudowy.
Zbywana nieruchomość nie jest obciążona prawami osób trzecich i nie jest przedmiotem zobowiązań. Działy III i IV księgi wieczystej prowadzonej dla wyżej wym. działki nie zawierają wpisów.
Cena wywoławcza nieruchomości wynosi 70.000,-zł
(słownie: siedemdziesiąt tysięcy złotych)
Postąpienie w przetargunie może wynosić mniej niż 1% ceny wywoławczej nieruchomości, z zaokrągleniem w górę do pełnych dziesiątek złotych.Cena osiągnięta w przetargu za nieruchomość podlega zapłacie w całości nie później niż do dnia zawarcia umowy przenoszącej własność nieruchomości, gdzie za potwierdzenie wpłaty przyjmuje się datę uznania rachunku bankowego Urzędu Miasta Mysłowice. Sprzedaż nieruchomości może podlegać, zgodnie z przepisami, opodatkowaniu podatkiem VAT według stawki obowiązującej na dzień sprzedaży. Na dzień ogłaszania przetargu, sprzedaż nin. działki zwolniona jest od podatku VAT na podstawie art. 43 ust. 1 pkt 9 ustawy z dnia 11 marca 2004 roku o podatku od towarów i usług (tekst jednolity Dz.U. z 2011 r. Nr 177, poz. 1054 z późn. zm.), w związku z art. 2 pkt 33 tej ustawy.
Przetarg odbędzie się w dniu 25 sierpnia 2015 r. o godz. 10.00 w sali nr 204
Urzędu Miasta w Mysłowicach przy ul. Powstańców 1.
W przetargu mogą brać udział osoby fizyczne lub prawne, które najpóźniej do dnia 19 sierpnia 2015 r. wniosą wadiumw pieniądzu w wysokości 14.000,-zł (słownie: czternaście tysięcy złotych) wpłacając je na konto depozytowe Urzędu Miasta Mysłowice Nr 13 1050 1214 1000 0023 5654 6974 ING Bank Śląski, z podaniem w/w nr działki. Za datę wniesienia wadium uważa się datę wpływu środków pieniężnych na powyższy rachunek bankowy.
Wadium wpłacone przez uczestnika przetargu, który przetarg wygra zostanie zaliczone na poczet ceny nabycia nieruchomości, w dniu zapłaty reszty ceny sprzedaży. Pozostałym uczestnikom przetargu wadium jest zwracane w terminie 3 dni od dnia zamknięcia przetargu (bez oprocentowania), na konto przez nich wskazane. Organizator przetargu jest obowiązany zawiadomić osobę ustaloną jako nabywca nieruchomości o miejscu i terminie zawarcia umowy sprzedaży, najpóźniej w ciągu 21 dni od dnia rozstrzygnięcia przetargu. Wyznaczony termin nie może być krótszy niż 7 dni od dnia doręczenia zawiadomienia. Jeżeli osoba ustalona jako nabywca nieruchomości nie przystąpi bez usprawiedliwienia do zawarcia umowy w miejscu i w terminie podanych w zawiadomieniu, organizator przetargu może odstąpić od zawarcia umowy, a wpłacone wadium nie podlega zwrotowi.
Przed otwarciem przetargu jego uczestnik winien przedłożyć Komisji Przetargowej:
- Dowód wniesienia wadium (oryginał).
- Dokument tożsamości.
- Aktualny odpis lub zaświadczenie z właściwego rejestru wystawione nie wcześniej niż 6 miesięcy przed upływem terminu przetargu w przypadku, gdy nieruchomość będzie nabywana przez uczestnika przetargu w ramach prowadzonej działalności gospodarczej, a w przypadku wspólników spółek cywilnych także umowę spółki cywilnej.
- Oryginał pełnomocnictwa potwierdzonego notarialnie, upoważniającego do działania na każdym etapie postępowania przetargowego, w przypadku osoby reprezentującej uczestnika przetargu.
- Pisemną zgodę współmałżonka na odpłatne nabycie nieruchomości, w przypadku uczestnika przetargu zamierzającego samodzielnie licytować nieruchomość nabywaną do majątku wspólnego.
- Oświadczenie, że oferent zapoznał się z dokumentacją zbywanej nieruchomości, jej stanem faktycznym i prawnym oraz z warunkami przetargu i przyjmuje je bez zastrzeżeń.
- Oświadczenie, że oferent zapoznał się z rozporządzeniem Rady Ministrów z dnia 14 września 2004 roku w sprawie sposobu i trybu przeprowadzania przetargów oraz rokowań na zbycie nieruchomości ((tekst jednolity Dz.U. z 2014 r. poz. 1490).
- Numer i nazwę rachunku bankowego, na które zostanie zwrócone wadium, w przypadku nie wygrania przetargu.
Cudzoziemcy mogą nabywać nieruchomości, zgodnie z obowiązującymi przepisami ustawy o nabywaniu nieruchomości przez cudzoziemców.
Dodatkowe informacje dot. zbywanej działki oraz warunki realizacji zamierzeń inwestycyjnych:
Nieruchomość niezabudowana przeznaczona pod zabudowę na cele mieszkaniowe. Na terenie zbywanej działki występują różnice wysokości – teren nachylony jest w kierunku północnym. Część nieruchomości porośnięta jest samosiejkami drzew i krzewów. Działka nr 3227/28 posiada kształt zbliżony do prostokąta, dłuższym bokiem przylegającym do ul. Elizy Orzeszkowej.Na działce tej znajdują się niestanowiące żadnej wartości rynkowej pozostałości ogrodzenia (słupki i elementy siatki). Wzdłuż południowej granicy działki nr 3227/28 przebiegają sieci uzbrojenia terenu (podziemna sieć energetyczna i teletechniczna). Przy wschodniej jej granicy stoi żelbetowy słup energetyczny, a nad południową częścią działki w kierunku wschód-zachód przebiega napowietrzna linia energetyczna. Nabywca zobowiązany będzie zapewnić właścicielom sieci i urządzeń dostęp do sieci, celem przeprowadzenia konserwacji lub usunięcia awarii. Przedmiotowa działka może być wykorzystana pod zabudowę z zastrzeżeniem, że projektowane obiekty budowlane nie mogą naruszać istniejącego uzbrojenia terenu i przy ich lokalizacji zostaną zachowane odpowiednie odległości od sieci.W przypadku gdyby jednak projektowana zabudowa kolidowała z przebiegającymi sieciami i urządzeniami, nabywca zobowiązany będzie na własny koszt dokonać ich przełożenia, po uzgodnieniu z gestorami sieci. Obsługa komunikacyjna zbywanej działki będzie się odbywać z ulicy Elizy Orzeszkowej - lokalizację zjazdu nabywca uzgodni z zarządcą drogi w odrębnym postępowaniu. Zagospodarowanie nieruchomości nastąpi na podstawie szczegółowych warunków, które zostaną określone na wniosek nabywcy w decyzji o warunkach zabudowy. Wyżej wym. działka znajduje się na obszarze terenu górniczego, w związku z czym przy ustalaniu warunków zabudowy, konieczne będzie uzyskanie stanowiska właściwego państwowego organu nadzoru górniczego.
Nabywca zobowiązany będzie we własnym zakresie i na własny koszt:
- Wykonać badanie geotechniczne gruntu;
- Uporządkować teren i usunąć resztki starego ogrodzenia;
- Dokonać wycinki zieleni, po wcześniejszym uzyskaniu decyzji zezwalającej na usunięcie drzew i krzewów kolidujących z planową zabudową (ewentualne opłaty z tym związane ponosi nabywca);
- Uzyskać aktualne uzgodnienia branżowe przebiegu sieci i urządzeń uzbrojenia terenu;
- Zrealizować niezbędne dla zamierzonej inwestycji uzbrojenie techniczne oraz uzyskać we własnym zakresie zapewnienia dostawy mediów i odbioru ścieków, a także wód opadowych;
- Wykonać wjazd na teren działki w uzgodnieniu z zarządcą drogi.
W przypadku wystąpienia w obrębie nabytej działki sieci nie ujawnionych na istniejących mapach i dokumentach, a kolidujących z inwestycją, jak też wystąpienia zmian w przepisach w tym dotyczących zagospodarowania przestrzennego, Miasto Mysłowice nie będzie ponosiło z tego tytułu żadnej odpowiedzialności.
Nabywca zobowiązany również będzie do poniesienia w całości kosztów notarialnych oraz kosztów i opłat sądowych związanych z nabyciem nieruchomości.
Treść nin. ogłoszenia dostępna jest na stronie internetowej miasta i w Biuletynie Informacji Publicznej oraz na tablicy ogłoszeń w siedzibie Urzędu Miasta Mysłowice (na II piętrze) obok pok. 302 Wydziału Gospodarki Nieruchomościami, w którym również można zapoznać się z dokumentacją zbywanej nieruchomości tel. 32 31 71 236. Szczegółowych informacji o możliwości zabudowy działki można uzyskać w Wydziale Architektury i Budownictwa Urzędu Miasta w Mysłowicach przy Placu Wolności 2, tel. 32 31 71 324 (w godz. pracy urzędu).
Treść ogłoszenia (41.81 KB)









