2015
Prezydent Miasta Mysłowice ogłasza trzeci ustny przetarg nieograniczony na sprzedaż niżej wym. nieruchomości niezabudowanych, stanowiących własność Gminy Mysłowice, położonych w Mysłowicach - Laryszu przy ul. Wiejskiej, zapisanych w księdze wieczystej nr KA1L/00004237/1Sądu Rejonowego w Mysłowicach, z przeznaczeniem pod zabudowę mieszkaniową jednorodzinnąwraz ze sprzedażą udziałów w gruncie przeznaczonym pod wewnętrzną drogę dojazdową :
|
L.p |
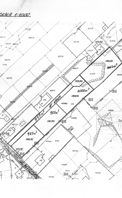
Numery działek na k.m.1 obrębu Brzezinka i powierzchnie |
Łączna cena wywoławcza nieruchomości pod zabudowę i udziału w drodze (netto) |
Wysokość wadium |
|
1. |
2. |
3. |
4. |
|
1. |
nr 2366/83 o pow. 987 m2 + udział 1/4 cz. w działce nr 2370/83 o pow. 939 m2 |
100.000,-zł |
20.000,-zł |
|
2. |
nr 2367/83 o pow. 987 m2 + udział 1/4 cz. w działce nr 2370/83 o pow. 939 m2 |
100.000,-zł |
20.000,-zł |
|
3. |
nr 2368/83 o pow. 1088m2 + udział 1/4 cz. w działce nr 2370/83 o pow. 939 m2 |
96.000,-zł |
19.200,-zł |
|
4. |
nr 2369/83 o pow. 1664 m2 + udział 1/4 cz. w działce nr 2370/83 o pow. 939 m2 |
135.000,-zł |
27.000,-zł |
Przeprowadzone ustne przetargi nieograniczone na sprzedaż w/w nieruchomości tj. pierwszy przetarg w dniu 02.06.2015 r., a drugi przetarg w dniu 29.09.2015 r. - zakończyły się wynikiem negatywnym. Zgodnie z uchwalonym przez Radę Miasta Mysłowice uchwałą nr LIV/557/2005 z dnia 24 listopada 2005 r. miejscowym planem zagospodarowania przestrzennego dzielnicy „Morgi Zachód” w Mysłowicach przedmiotowe działki posiadają przeznaczenie: MU II – tereny mieszkaniowo - usługowe - zabudowa jednorodzinna z dopuszczeniem usług. Dodatkowo przez działki nr 2368/83 i nr 2370/83 (we wschodniej ich części) oraz przez działkę nr 2369/83 (w zachodniej jej części) przebiega strefa ochronna sieci 110 kV.Szczegółowe ustalenia warunków zagospodarowania terenu w obszarze stref ochronnych sieci infrastruktury technicznej, należy uzgadniać z zarządcami mediów dla których utworzono strefę. Zbywane działki znajdują się na obszarze terenu górniczego, w związku z czym wznoszenie trwałych budowli i urządzeń, zgodnie z zapisami planu miejscowego, wymaga uzgodnienia z właściwym organem państwowego nadzoru górniczego. Zagospodarowanie nieruchomości nastąpi na podstawie zapisów planu miejscowego. Zbywane nieruchomości nie są obciążone prawami osób trzecich i nie są przedmiotem zobowiązań. Działy III i IV księgi wieczystej prowadzonej dla nin. działek nie zawierają wpisów. Postąpienie w przetargunie może wynosić mniej niż 1% łącznej ceny wywoławczej nieruchomości pod zabudowę i udziału w drodze, z zaokrągleniem w górę do pełnych dziesiątek złotych.Cena osiągnięta w przetargu za nieruchomość pod zabudowę i udział w drodze, podlega zapłacie nie później niż do dnia zawarcia umowy przenoszącej własność nieruchomości. Do wylicytowanej ceny sprzedaży (działki pod zabudowę i udziału w drodze), zostanie doliczony podatek VAT według stawki obowiązującej na dzień sprzedaży (na dzień ogłaszania przetargu podatek VAT wynosi 23%). Osoba, która wygra przetarg, zobowiązana będzie do zapłaty wylicytowanej ceny sprzedaży nieruchomości wraz z należnym podatkiem VAT w całości, nie później niż do dnia zawarcia notarialnej umowy przenoszącej własność nieruchomości. Za potwierdzenie wpłaty przyjmuje się datę uznania rachunku bankowego Miasta Mysłowice.
Przetarg odbędzie się w dniu 26 stycznia 2016 r. o godz. 10.30 w sali nr 204
Urzędu Miasta w Mysłowicach przy ul. Powstańców 1.
W przetargu mogą brać udział osoby fizyczne lub prawne, które najpóźniej do dnia 20 stycznia 2016 r. wniosą odpowiednie wyżej wym. wadiumw pieniądzu wpłacając je na konto depozytowe Miasta Mysłowice Nr 13 1050 1214 1000 0023 5654 6974 ING Bank Śląski,z podaniem w/w nr działek. Za datę wniesienia wadium uważa się datę wpływu środków pieniężnych na powyższy rachunek bankowy. Osoby przystępujące do przetargu na więcej niż jedną wybraną działkę zobowiązane są wpłacić oddzielne (osobne) wadium na każdą z tych działek.Wadium wpłacone przez uczestnika przetargu, który przetarg wygra zostanie zaliczone na poczet ceny nabycia nieruchomości, w dniu zapłaty reszty ceny sprzedaży. Pozostałym uczestnikom przetargu wadium jest zwracane w terminie 3 dni od dnia zamknięcia przetargu (bez oprocentowania), na konto przez nich wskazane. Organizator przetargu jest obowiązany zawiadomić osobę ustaloną jako nabywca nieruchomości o miejscu i terminie zawarcia umowy sprzedaży, najpóźniej w ciągu 21 dni od dnia rozstrzygnięcia przetargu. Wyznaczony termin nie może być krótszy niż 7 dni od dnia doręczenia zawiadomienia. Jeżeli osoba ustalona jako nabywca nieruchomości nie przystąpi bez usprawiedliwienia do zawarcia umowy w miejscu i w terminie podanych w zawiadomieniu, organizator przetargu może odstąpić od zawarcia umowy, a wpłacone wadium nie podlega zwrotowi.
Przed otwarciem przetargu jego uczestnik winien przedłożyć Komisji Przetargowej:
- Dowód wniesienia wadium (oryginał).
- Dokument tożsamości.
- Aktualny odpis lub zaświadczenie z właściwego rejestru wystawione nie wcześniej niż 6 miesięcy przed upływem terminu przetargu w przypadku, gdy nieruchomość będzie nabywana przez uczestnika przetargu w ramach prowadzonej działalności gospodarczej, a w przypadku wspólników spółek cywilnych także umowę spółki cywilnej.
- Oryginał pełnomocnictwa potwierdzonego notarialnie, upoważniającego do działania na każdym etapie postępowania przetargowego, w przypadku osoby reprezentującej uczestnika przetargu.
- Pisemną zgodę współmałżonka na odpłatne nabycie nieruchomości, w przypadku uczestnika przetargu zamierzającego samodzielnie licytować nieruchomość nabywaną do majątku wspólnego.
- Oświadczenie, że oferent zapoznał się z dokumentacją zbywanej nieruchomości, jej stanem faktycznym i prawnym oraz z warunkami przetargu i przyjmuje je bez zastrzeżeń.
- Oświadczenie, że oferent zapoznał się z rozporządzeniem Rady Ministrów z dnia 14 września 2004 roku w sprawie sposobu i trybu przeprowadzania przetargów oraz rokowań na zbycie nieruchomości (tekst jednolity Dz.U. z 2014 r. poz. 1490).
- Numer i nazwę rachunku bankowego, na które zostanie zwrócone wadium, w przypadku nie wygrania przetargu.
Cudzoziemcy mogą nabywać nieruchomości, zgodnie z obowiązującymi przepisami ustawy o nabywaniu nieruchomości przez cudzoziemców.
Dodatkowe informacje dot. zbywanych działek oraz warunki realizacji zamierzeń inwestycyjnych:
Działki niezabudowane przeznaczone pod zabudowę na cele zgodne z zapisami wyżej wym. miejscowego planu zagospodarowania przestrzennego. Zbywane działki posiadają kształt foremny. Teren działek jest płaski, za wyjątkiem działki nr 2369/83, na której znajduje się zagłębienie terenu porośnięte wysoką roślinnością, co wskazuje, że przy obfitych opadach deszczu mogą się tam gromadzić wody opadowe. Zagłębienie to koliduje z planowanym na nin. działkę wjazdem – działka nr 2369/83 wymaga wyrównania i uporządkowania. Ponieważ planowane do zbycia pozostałe działki znajdują się w sąsiedztwie działki nr 2369/83, nabywcy wszystkich w/w działek zobowiązani będą we własnym zakresie i na własny koszt wykonać badanie geotechniczne gruntu, celem sprawdzenia poziomu wód gruntowych i możliwości zabudowy działek. W przypadku konieczności dokonania odwodnienia działek, nabywcy zobowiązani będą wykonać je na własny koszt. Wzdłuż południowej granicy działek wym. w poz. od 1 do 3 (poza działkami) przebiega sieć kanalizacji sanitarnej. We wschodniej granicy działek nr 2368/83 i nr 2370/83 przebiega napowietrzna linia energetyczna wysokiego napięcia 110 kV, dla której strefa ochronna wynosi po 15 m z obu stron sieci. Strefa ochronna od nin. sieci zachodzi również na zachodnią część działki nr 2369/83. W północno - wschodnim narożu działki nr 2369/83 przebiega również sieć gazowa i wodociągowa – przyłącze do budynku Nr 11 położonego przy ul. Henryka Sienkiewicza. Nin. grunty mogą być wykorzystane pod zabudowę z zastrzeżeniem, że projektowane obiekty budowlane nie mogą naruszać istniejącego uzbrojenia podziemnego oraz nadziemnego terenu i przy ich lokalizacji zostaną zachowane odpowiednie odległości od sieci. Nabywcy zobowiązani będą zapewnić właścicielom sieci dostęp do sieci, celem przeprowadzenia konserwacji lub usunięcia awarii. Obsługa komunikacyjna działek: nr 2366/83, nr 2367/83, nr 2368/83 i nr 2369/83 będzie się odbywać z ul. Wiejskiej, poprzez działkę nr 2370/83, wydzieloną pod wewnętrzną drogę dojazdową do tych działek.Lokalizację zjazdu z ul. Wiejskiej nabywcy uzgodnią z zarządcą drogi w odrębnym postępowaniu. W pasie drogowym ul. Wiejskiej tj. na działce gminnej nr 2371/83 (tuż przy północno – zachodnim narożu działki nr 2370/83) znajduje się drewniany słup teletechniczny. W przypadku wystąpienia ewentualnej kolizji nin. urządzenia z planowanym na działkę nr 2370/83 wjazdem, współwłaściciele działki nr 2370/83 na własny koszt i we własnym zakresie, dokonają przebudowy kolidującego słupa, po uzgodnieniu z właścicielem sieci.
Nabywcy zobowiązani będą we własnym zakresie i na własny koszt:
- Wykonać badanie geotechniczne gruntu i w razie konieczności dokonać odwodnienia działek;
- W razie potrzeby wyrównać i uporządkować terenoraz dokonać ewentualnej wycinki drzew i krzewów kolidujących z planowaną zabudową (koszty i opłaty z tym związane ponosi nabywca);
- Wykonać uzgodnienia branżowe przebiegu sieci uzbrojenia terenu i zrealizować niezbędne dla zamierzonej inwestycji uzbrojenie techniczne oraz uzyskać we własnym zakresie zapewnienia dostawy mediów i odbioru ścieków, a także wód opadowych;
- Wspólnie wykonać na działce nr 2370/83wewnętrzną drogę dojazdową do działek nabytych w przetarguoraz w przypadku gdy zajdzie taka konieczność, dokonać ewentualnej przebudowy urządzeń kolidujących z wjazdem.
W przypadku wystąpienia w obrębie nabytych działek sieci nie ujawnionych na istniejących mapach i dokumentach, a kolidujących z inwestycją, Miasto Mysłowice nie będzie ponosiło z tego tytułu żadnej odpowiedzialności.
Nabywcy zobowiązani również będą do poniesienia w całości kosztów notarialnych oraz kosztów i opłat sądowych związanych z nabyciem nieruchomości.
Treść nin. ogłoszenia dostępna jest na stronie internetowej miasta i w Biuletynie Informacji Publicznej oraz na tablicy ogłoszeń w siedzibie Urzędu Miasta Mysłowice (na II piętrze) obok pok. 302 Wydziału Gospodarki Nieruchomościami, w którym również można zapoznać się z dokumentacją zbywanych nieruchomości tel. 32 31 71 236. Szczegółowych informacji o możliwości zabudowy działek można uzyskać w Wydziale Architektury i Budownictwa Urzędu Miasta w Mysłowicach przy Placu Wolności 2, tel. 32 31 71 324 (w godz. pracy urzędu).
Treść ogłoszenia (45.71 KB)









