2017
Prezydent Miasta Mysłowice ogłasza ustny przetarg nieograniczony na sprzedaż niżej wym. działek niezabudowanych, stanowiących własność Gminy Mysłowice, położonych w Mysłowicach – Kosztowach przy ul. Białobrzeskiej, na karcie mapy 1 obrębu Kosztowy, zapisanych w księdze wieczystej nr KA1L/00026502/0 Sądu Rejonowego w Mysłowicach, z przeznaczeniem pod zabudowę mieszkaniową, zgodną z zapisami planu miejscowego:
|
L.p. |
Numer działki |
Powierzchnia |
Cena wywoławcza nieruchomości |
Wysokość wadium |
| 1. | 2. | 3. | 4. | 5 |
|
1. |
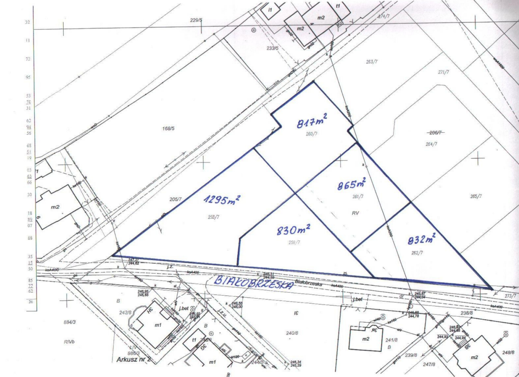
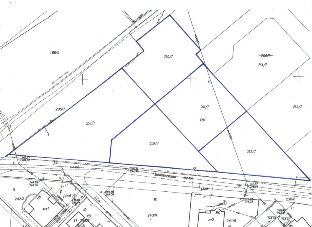
nr 262/7 |
832 m2 |
80.000,-zł |
16.000,-zł |
|
2. |
nr 261/7 |
865 m2 |
80.000,-zł |
16.000,-zł |
|
3. |
nr 260/7 |
817 m2 |
80.000,-zł |
16.000,-zł |
Zgodnie z uchwalonym przez Radę Miasta Mysłowice uchwałą nr LXV/659/06 z dnia 30 marca 2006 r., miejscowym planem zagospodarowania przestrzennego dzielnicy "Brzezinka Południowa" w Mysłowicach, w/w działki posiadają przeznaczenie ozn. MU IV - tereny zabudowy mieszkaniowej z dopuszczeniem usług jako funkcji uzupełniającej. Zagospodarowanie nieruchomości nastąpi na podstawie zapisów nin. planu miejscowego. Zbywane działki nie są obciążone prawami osób trzecich i nie są przedmiotem zobowiązań. Działy III i IV księgi wieczystej prowadzonej dla w/w działek nie zawierają wpisów.
Postąpienie w przetargu nie może wynosić mniej niż 1% ceny wywoławczej nieruchomości, z zaokrągleniem w górę do pełnych dziesiątek złotych. Cena osiągnięta w przetargu za nieruchomość podlega zapłacie nie później niż do dnia zawarcia umowy przenoszącej własność nieruchomości. Do wylicytowanej ceny sprzedaży, zostanie doliczony podatek VAT według stawki obowiązującej na dzień sprzedaży (na dzień ogłaszania przetargu podatek VAT wynosi 23%). Osoba, która wygra przetarg, zobowiązana będzie do zapłaty wylicytowanej ceny sprzedaży nieruchomości wraz z należnym podatkiem VAT w całości, nie później niż do dnia zawarcia notarialnej umowy przenoszącej własność nieruchomości. Za potwierdzenie wpłaty przyjmuje się datę uznania rachunku bankowego Urzędu Miasta Mysłowice.
Przetarg odbędzie się w dniu 23 maja 2017 r. o godz. 10.45 w sali nr 204
Urzędu Miasta w Mysłowicach przy ul. Powstańców 1.
W przetargu mogą brać udział osoby, które najpóźniej do dnia 17 maja 2017 r. wniosą odpowiednio wyżej wym. wadium w pieniądzu wpłacając je na konto depozytowe Urzędu Miasta Mysłowice Nr 13 1050 1214 1000 0023 5654 6974 ING Bank Śląski, z podaniem konkretnych nr działek. Za datę wniesienia wadium uważa się datę wpływu środków pieniężnych na powyższy rachunek bankowy. Osoby przystępujące do przetargu na więcej niż jedną wybraną działkę zobowiązane są wpłacić oddzielne (osobne) wadium na każdą z tych działek. Wadium wpłacone przez uczestnika przetargu, który przetarg wygra zostanie zaliczone na poczet ceny nabycia nieruchomości, w dniu zapłaty reszty ceny sprzedaży. Pozostałym uczestnikom przetargu wadium jest zwracane w terminie 3 dni od dnia zamknięcia przetargu (bez oprocentowania), na konto przez nich wskazane. Organizator przetargu jest obowiązany zawiadomić osobę ustaloną jako nabywca nieruchomości o miejscu i terminie zawarcia umowy sprzedaży, najpóźniej w ciągu 21 dni od dnia rozstrzygnięcia przetargu. Wyznaczony termin nie może być krótszy niż 7 dni od dnia doręczenia zawiadomienia. Jeżeli osoba ustalona jako nabywca nieruchomości nie przystąpi bez usprawiedliwienia do zawarcia umowy w miejscu i w terminie podanych w zawiadomieniu, organizator przetargu może odstąpić od zawarcia umowy, a wpłacone wadium nie podlega zwrotowi.
Przed otwarciem przetargu jego uczestnik winien przedłożyć Komisji Przetargowej:
- Dowód wniesienia wadium (oryginał).
- Dokument tożsamości.
- Aktualny odpis lub zaświadczenie z właściwego rejestru wystawione nie wcześniej niż 6 miesięcy przed upływem terminu przetargu w przypadku, gdy nieruchomość będzie nabywana przez uczestnika przetargu w ramach prowadzonej działalności gospodarczej, a w przypadku wspólników spółek cywilnych także umowę spółki cywilnej.
- Oryginał pełnomocnictwa potwierdzonego notarialnie, upoważniającego do działania na każdym etapie postępowania przetargowego, w przypadku osoby reprezentującej uczestnika przetargu.
- Pisemną zgodę współmałżonka na odpłatne nabycie nieruchomości, w przypadku uczestnika przetargu zamierzającego samodzielnie licytować nieruchomość nabywaną do majątku wspólnego.
- Oświadczenie, że oferent zapoznał się z dokumentacją zbywanej nieruchomości, jej stanem faktycznym i prawnym oraz z warunkami przetargu i przyjmuje je bez zastrzeżeń.
- Oświadczenie, że oferent zapoznał się z rozporządzeniem Rady Ministrów z dnia 14 września 2004 r. w sprawie sposobu i trybu przeprowadzania przetargów oraz rokowań na zbycie nieruchomości (tekst jednolity Dz.U. z 2014 r. poz. 1490).
- Numer i nazwę rachunku bankowego, na które zostanie zwrócone wadium, w przypadku nie wygrania przetargu.
Cudzoziemcy mogą nabywać nieruchomości, zgodnie z obowiązującymi przepisami ustawy o nabywaniu nieruchomości przez cudzoziemców.
Dodatkowe informacje dot. zbywanych działek oraz warunki realizacji zamierzeń inwestycyjnych:
Działki niezabudowane, przeznaczone do sprzedaży pod zabudowę mieszkaniową z dopuszczeniem usług jako funkcji uzupełniającej, zgodnie z zapisami wyżej wym. planu miejscowego. Na zbywanych działkach znajdują się miejscowe zakrzewienia i samosiejki oraz sieci i urządzenia uzbrojenia podziemnego i nadziemnego terenu. Przez działki: nr 262/7 i nr 261/7 (w kierunku północ – południe) przebiega sieć kanalizacji ogólnospławnej koA200 (na działce nr 261/7 dodatkowo znajduje się studzienka kanalizacyjna). Sieć ta przecina również południowo – wschodnią granicę działki nr 260/7. Przez działkę nr 260/7, w północno – zachodniej jej części, przebiega napowietrzna linia teletechniczna, a w pobliżu północno – zachodniej granicy nin. działki stoi drewniany słup tej sieci. Przedmiotowe działki mogą być wykorzystane pod zabudowę z zastrzeżeniem, że projektowane obiekty budowlane nie mogą naruszać istniejącego uzbrojenia podziemnego oraz nadziemnego terenu i przy ich lokalizacji zostaną zachowane odpowiednie odległości od sieci. W przypadku, gdyby jednak projektowana zabudowa kolidowała z przebiegającymi sieciami, nabywcy zobowiązani będą we własnym zakresie i na własny koszt dokonać przełożenia sieci, po uzgodnieniu z ich gestorami. Nabywcy tych działek zobowiązani będą zapewnić właścicielom sieci dostęp do sieci, celem przeprowadzenia konserwacji lub usunięcia awarii. Zagospodarowanie nieruchomości nastąpi na podstawie zapisów wyżej wym. planu miejscowego. Zbywane działki znajdują się na obszarze terenu górniczego, w związku z czym wznoszenie trwałych budowli i urządzeń, wymagać będzie uzgodnienia z właściwym organem państwowego nadzoru górniczego.
Obsługa komunikacyjna działki nr 262/7 będzie się odbywać bezpośrednio z drogi publicznej ulicy Białobrzeskiej, obejmującej m.in. działkę gminną nr 273/7, przeznaczoną pod pas drogowy nin. ulicy. Natomiast obsługa komunikacyjna działki nr 261/7 będzie się odbywać od ul Białobrzeskiej po działce nr 262/7, a obsługa komunikacyjna działki nr 260/7 będzie się odbywać od ul. Białobrzeskiej po działkach: nr 262/7 i nr 261/7 - pasem gruntu o szerokości 5 m, przebiegającym wzdłuż zachodniej granicy działek: nr 262/7 i nr 261/7, na zasadzie służebności. Przy sprzedaży nin. działek zostaną ustanowione odpowiednie niżej wym. służebności gruntowe. Lokalizację zjazdu z ulicy Białobrzeskiej nabywcy uzgodnią z zarządcą drogi w odrębnym postępowaniu.
Na nieruchomości gruntowej stanowiącej działkę nr 262/7 o pow. 832 m2, na karcie mapy 1 obrębu Kosztowy, zapisanej dotychczas w księdze wieczystej nr KA1L/00026502/0 Sądu Rejonowego w Mysłowicach, zostanie ustanowiona na czas nieoznaczony, bez wynagrodzenia, nieodpłatna służebność drogowa oraz nieodpłatna służebność ułożenia sieci infrastruktury technicznej:
a) na rzecz każdoczesnych właścicieli nieruchomości gruntowej, stanowiącej działkę nr 261/7 o pow. 865 m2, zapisaną dotychczas w księdze wieczystej nr KA1L/00026502/0 Sądu Rejonowego w Mysłowicach oraz
b) na rzecz każdoczesnych właścicieli nieruchomości gruntowej, stanowiącej działkę nr 260/7 o pow. 817 m2, zapisaną dotychczas w księdze wieczystej nr KA1L/00026502/0 Sądu Rejonowego w Mysłowicach.
Ustanowienie służebności drogowej oraz służebności ułożenia sieci infrastruktury technicznej, polegać będzie na prawie przejazdu i przejścia oraz wybudowaniu pod ziemią, na ziemi albo nad ziemią przewodów lub urządzeń: wodociągowych, kanalizacyjnych, ciepłowniczych, elektrycznych, gazowych i telekomunikacyjnych, na działce nr 262/7, w pasie gruntu o szerokości 5 m, przebiegającym w zachodniej części tej działki, graniczącym od południa z działką nr 273/7 stanowiącą pas drogowy ulicy Białobrzeskiej, od zachodu z działkę nr 259/7, a od północy z działką nr 261/7.
Na nieruchomości gruntowej stanowiącej działkę nr 261/7 o pow. 865 m2, na karcie mapy 1 obrębu Kosztowy, zapisanej dotychczas w księdze wieczystej nr KA1L/00026502/0 Sądu Rejonowego w Mysłowicach, zostanie ustanowiona na czas nieoznaczony, bez wynagrodzenia, nieodpłatna służebność drogowa oraz nieodpłatna służebność ułożenia sieci infrastruktury technicznej na rzecz każdoczesnych właścicieli nieruchomości gruntowej, stanowiącej działkę nr 260/7 o pow. 817 m2, zapisaną dotychczas w księdze wieczystej nr KA1L/00026502/0 Sądu Rejonowego w Mysłowicach. Ustanowienie służebności drogowej oraz służebności ułożenia sieci infrastruktury technicznej, polegać będzie na prawie przejazdu i przejścia oraz wybudowaniu pod ziemią, na ziemi albo nad ziemią przewodów lub urządzeń: wodociągowych, kanalizacyjnych, ciepłowniczych, elektrycznych, gazowych i telekomunikacyjnych, na działce nr 261/7, w pasie gruntu o szerokości 5 m, przebiegającym w zachodniej części tej działki, graniczącym od południa z działką nr 262/7, od zachodu z działkę nr 259/7, a od północy z działką nr 260/7.
Nabywcy zobowiązani będą we własnym zakresie i na własny koszt:
- Wykonać badanie geotechniczne gruntu;
- W razie potrzeby dokonać drenażu i odwodnienia nieruchomości oraz uporządkować teren;
- W razie konieczności dokonać ewentualnej wycinki drzew i krzewów kolidujących z planowaną zabudową (koszty i opłaty z tym związane ponoszą nabywcy);
- Wykonać uzgodnienia branżowe przebiegu sieci uzbrojenia terenu oraz zrealizować niezbędne dla zamierzonej inwestycji uzbrojenie techniczne i uzyskać we własnym zakresie zapewnienia dostawy mediów oraz odbioru ścieków, a także wód opadowych;
- Dokonać przebudowy sieci uzbrojenia terenu, w uzgodnieniu z właścicielem sieci, w przypadku gdy zajdzie taka konieczność;
- Wykonać dojazd/ wjazd do działek nabytych w przetargu.
W przypadku wystąpienia w obrębie nabytych działek sieci nie ujawnionych na istniejących mapach i dokumentach, a kolidujących z inwestycją, Miasto Mysłowice nie będzie ponosiło z tego tytułu żadnej odpowiedzialności.
Nabywcy zobowiązani również będą do poniesienia w całości kosztów notarialnych oraz kosztów i opłat sądowych związanych z nabyciem nieruchomości i ustanowieniem służebności gruntowych.
Treść nin. ogłoszenia dostępna jest na stronie internetowej miasta i w Biuletynie Informacji Publicznej oraz na tablicy ogłoszeń w siedzibie Urzędu Miasta Mysłowice (na II piętrze) obok pok. 302 Wydziału Gospodarki Nieruchomościami, w którym również można zapoznać się z dokumentacją zbywanych nieruchomości tel. 32 31 71 236. Szczegółowych informacji o możliwości zabudowy działek można uzyskać w Wydziale Architektury i Budownictwa Urzędu Miasta w Mysłowicach przy Placu Wolności 2, tel. 32 31 71 324 (w godz. pracy urzędu).
Treść ogłoszenia (95.37 KB)









