2017
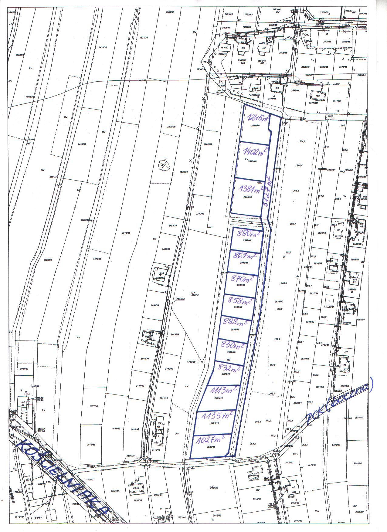
Prezydent Miasta Mysłowice ogłasza ustny przetarg nieograniczony na sprzedaż niżej wym. działek niezabudowanych, stanowiących własność Gminy Mysłowice, położonych w Mysłowicach - Krasowach w rejonie ulic: Franciszka Kościelniaka i PCK, zapisanych w księdze wieczystej nr KA1L/00024751/6, przeznaczonych pod zabudowę na cele zgodne z zapisami planu miejscowego wraz ze sprzedażą udziałów w działce nr 2948/46 o pow. 3127 m2, przeznaczonej pod wewnętrzną drogę dojazdową:
|
L.p |
Numery działek na k.m.1 obrębu Krasowy i powierzchnie |
Łączna cena wywoławcza nieruchomości pod zabudowę i udziału w drodze (netto) |
Wysokość wadium |
| 1. | 2. | 3. | 4. |
| 1. | nr 2936/46 o pow. 832 m2 + udział 1/13 cz. w działce nr 2948/46 o pow. 3127 m2 | 95.000,-zł | 19.000,-zł |
| 2. | nr 2937/46 o pow. 830 m2 + udział 1/13 cz. w działce nr 2948/46 o pow. 3127 m2 | 95.000,-zł | 19.000,-zł |
|
3. |
nr 2938/46 o pow. 888 m2 + udział 1/13 cz. w działce nr 2948/46 o pow. 3127 m2 | 100.000,-zł | 20.000,-zł |
Zgodnie z uchwalonym przez Radę Miasta Mysłowice uchwałą Nr LXXIX/754/06 z dnia 31 sierpnia 2006 roku, miejscowym planem zagospodarowania przestrzennego „Krasowy Południowe” w Mysłowicach, działki nr 2936/46, nr 2937/46 i nr 2938/46 posiadają przeznaczenie ozn. symbolem MU II - tereny zabudowy jednorodzinnej z dopuszczeniem funkcji usługowej jako funkcji uzupełniającej. Działka nr 2948/46 posiada przeznaczenie w części ozn. symbolem MU II j.w oraz w części ozn. symbolem MU III - tereny zabudowy jednorodzinnej w obszarze ochrony dolin i cieków układu fizjograficznego z dopuszczeniem funkcji usługowej jako funkcji uzupełniającej. Zbywane działki znajdują się na obszarze terenu górniczego, w związku z czym wznoszenie trwałych budowli i urządzeń, zgodnie z zapisami planu miejscowego, wymaga uzgodnienia z właściwym organem państwowego nadzoru górniczego. Zagospodarowanie nieruchomości nastąpi na podstawie zapisów w/w planu zagospodarowania przestrzennego. Zbywane działki nie są obciążone prawami osób trzecich i nie są przedmiotem zobowiązań. Działy III i IV księgi wieczystej prowadzonej dla powyższych działek nie zawierają wpisów.
Postąpienie w przetargu nie może wynosić mniej niż 1% łącznej ceny wywoławczej nieruchomości pod zabudowę i udziału w drodze, z zaokrągleniem w górę do pełnych dziesiątek złotych. Cena osiągnięta w przetargu za nieruchomość pod zabudowę i udział w drodze, podlega zapłacie nie później niż do dnia zawarcia umowy przenoszącej własność nieruchomości. Do wylicytowanej ceny sprzedaży (działki pod zabudowę i udziału w drodze), zostanie doliczony podatek VAT według stawki obowiązującej na dzień sprzedaży (na dzień ogłaszania przetargu podatek VAT wynosi 23%). Osoba, która wygra przetarg, zobowiązana będzie do zapłaty wylicytowanej ceny sprzedaży nieruchomości wraz z należnym podatkiem VAT w całości, nie później niż do dnia zawarcia notarialnej umowy przenoszącej własność nieruchomości. Za potwierdzenie wpłaty przyjmuje się datę uznania rachunku bankowego Urzędu Miasta Mysłowice.
Przetarg odbędzie się w dniu 1 sierpnia 2017 r. o godz. 11.00 w sali nr 204
Urzędu Miasta w Mysłowicach przy ul. Powstańców 1.
W przetargu mogą brać udział osoby, które najpóźniej do dnia 26 lipca 2017 r. wniosą odpowiednie wyżej wym. wadium w pieniądzu wpłacając je na konto depozytowe Urzędu Miasta Mysłowice Nr 13 1050 1214 1000 0023 5654 6974 ING Bank Śląski, z podaniem w/w nr działek. Za datę wniesienia wadium uważa się datę wpływu środków pieniężnych na powyższy rachunek bankowy. Osoby przystępujące do przetargu na więcej niż jedną wybraną działkę zobowiązane są wpłacić oddzielne (osobne) wadium na każdą z tych działek. Wadium wpłacone przez uczestnika przetargu, który przetarg wygra zostanie zaliczone na poczet ceny nabycia nieruchomości, w dniu zapłaty reszty ceny sprzedaży. Pozostałym uczestnikom przetargu wadium jest zwracane w terminie 3 dni od dnia zamknięcia przetargu (bez oprocentowania), na konto przez nich wskazane. Organizator przetargu jest obowiązany zawiadomić osobę ustaloną jako nabywca nieruchomości o miejscu i terminie zawarcia umowy sprzedaży, najpóźniej w ciągu 21 dni od dnia rozstrzygnięcia przetargu. Wyznaczony termin nie może być krótszy niż 7 dni od dnia doręczenia zawiadomienia. Jeżeli osoba ustalona jako nabywca nieruchomości nie przystąpi bez usprawiedliwienia do zawarcia umowy w miejscu i w terminie podanych w zawiadomieniu, organizator przetargu może odstąpić od zawarcia umowy, a wpłacone wadium nie podlega zwrotowi.
Przed otwarciem przetargu jego uczestnik winien przedłożyć Komisji Przetargowej:
- Dowód wniesienia wadium (oryginał).
- Dokument tożsamości.
- Aktualny odpis lub zaświadczenie z właściwego rejestru wystawione nie wcześniej niż 6 miesięcy przed upływem terminu przetargu w przypadku, gdy nieruchomość będzie nabywana przez uczestnika przetargu w ramach prowadzonej działalności gospodarczej, a w przypadku wspólników spółek cywilnych także umowę spółki cywilnej.
- Oryginał pełnomocnictwa potwierdzonego notarialnie, upoważniającego do działania na każdym etapie postępowania przetargowego, w przypadku osoby reprezentującej uczestnika przetargu.
- Pisemną zgodę współmałżonka na odpłatne nabycie nieruchomości, w przypadku uczestnika przetargu zamierzającego samodzielnie licytować nieruchomość nabywaną do majątku wspólnego.
- Oświadczenie, że oferent zapoznał się z dokumentacją zbywanej nieruchomości, jej stanem faktycznym i prawnym oraz z warunkami przetargu i przyjmuje je bez zastrzeżeń.
- Oświadczenie, że oferent zapoznał się z rozporządzeniem Rady Ministrów z dnia 14 września 2004 r. w sprawie sposobu i trybu przeprowadzania przetargów oraz rokowań na zbycie nieruchomości (tekst jednolity Dz.U. z 2014 r. poz. 1490).
- Numer i nazwę rachunku bankowego, na które zostanie zwrócone wadium, w przypadku nie wygrania przetargu.
Cudzoziemcy mogą nabywać nieruchomości, zgodnie z obowiązującymi przepisami ustawy o nabywaniu nieruchomości przez cudzoziemców.
Dodatkowe informacje dot. zbywanych działek oraz warunki realizacji zamierzeń inwestycyjnych:
Działki niezabudowane, przeznaczone do sprzedaży pod zabudowę, na cele zgodne z zapisami wyżej wym. miejscowego planu zagospodarowania przestrzennego wraz ze sprzedażą udziału w gruncie, przeznaczonym pod wewnętrzną drogę dojazdową. Zbywane działki posiadają regularny kształt, położone są na terenie podmokłym (przy obfitych opadach deszczu lub roztopach śniegu, na działkach mogą gromadzić się wody opadowe). Nabywcy zobowiązani będą we własnym zakresie oraz na własny koszt dokonać drenażu i odwodnienia nieruchomości. Obsługa komunikacyjna zbywanych działek będzie się odbywać z drogi publicznej ul. Franciszka Kościelniaka, po działkach Gminy Mysłowice: nr 844/52 i nr 2932/46, stanowiących wewnętrzną ogólnodostępną drogę gminną (gruntową), a następnie po działce nr 2948/46, w której Gmina Mysłowice sprzedaje swoje udziały. Lokalizację zjazdu z drogi publicznej nabywcy uzgodnią z zarządcą drogi w odrębnym postępowaniu.
Przy sprzedaży udziałów w działce nr 2948/46, przeznaczonej pod wewnętrzną drogę dojazdową, na tej działce, zostanie ustanowiona na czas nieoznaczony, bez wynagrodzenia, nieodpłatna służebność drogowa do sąsiednich działek gminnych: nr 2947/46 o pow. 717 m2 i nr 2943/46 o pow. 2145 m2, wydzielonych pod rów melioracyjny, położonych na karcie mapy 1 obrębu Krasowy, zapisanych dotychczas w księdze wieczystej nr KA1L/00024751/6 Sądu Rejonowego w Mysłowicach.
Zbywane działki znajdują się na obszarze terenu górniczego, w związku z czym wznoszenie trwałych budowli i urządzeń, zgodnie z zapisami planu miejscowego, wymaga uzgodnienia z właściwym organem państwowego nadzoru górniczego. Zagospodarowanie nieruchomości nastąpi na podstawie zapisów w/w planu zagospodarowania przestrzennego.
Nabywcy zobowiązani będą we własnym zakresie i na własny koszt:
- Wykonać badanie geotechniczne gruntu i dokonać odwodnienia (drenażu) działek;
- W razie potrzeby wyrównać i uporządkować teren oraz w przypadku gdy zajdzie taka konieczność, dokonać wycinki drzew i krzewów kolidujących z planowaną zabudową (koszty i opłaty z tym związane ponoszą nabywcy);
- Wykonać uzgodnienia branżowe przebiegu sieci uzbrojenia terenu oraz zrealizować niezbędne dla zamierzonej inwestycji uzbrojenie techniczne i uzyskać we własnym zakresie zapewnienia dostawy mediów oraz odbioru ścieków, a także wód opadowych;
- Wspólnie wykonać na działce nr 2948/46 dojazd do działek nabytych w przetargu.
W przypadku wystąpienia w obrębie nabytych działek sieci nie ujawnionych na istniejących mapach i dokumentach, a kolidujących z inwestycją, Miasto Mysłowice nie będzie ponosiło z tego tytułu żadnej odpowiedzialności.
Nabywcy zobowiązani również będą do poniesienia w całości kosztów notarialnych oraz kosztów i opłat sądowych związanych z nabyciem nieruchomości.
Treść nin. ogłoszenia dostępna jest na stronie internetowej i w Biuletynie Informacji Publicznej oraz na tablicy ogłoszeń w siedzibie Urzędu Miasta Mysłowice (na II piętrze) obok pok. 302 Wydziału Gospodarki Nieruchomościami, w którym również można zapoznać się z dokumentacją zbywanych nieruchomości tel. 32 31 71 236. Szczegółowych informacji o możliwości zabudowy działek można uzyskać w Wydziale Architektury i Budownictwa Urzędu Miasta w Mysłowicach przy Placu Wolności 2, tel. 32 31 71 324 (w godz. pracy urzędu).
Treść ogłoszenia (83.28 KB)









