2020
Prezydent Miasta Mysłowice ogłasza drugi ustny przetarg nieograniczony na sprzedaż niżej wym. działki niezabudowanej, stanowiącej własność Gminy Mysłowice, położonej w Mysłowicach – Brzezince przy ul. Dolnej, zapisanej w księdze wieczystej nr KA1L/00024523/9 Sądu Rejonowego w Mysłowicach, przeznaczonej pod zabudowę mieszkaniową jednorodzinną wraz ze sprzedażą udziałów w działce nr 2154/210 o pow. 446 m2, przeznaczonej pod wewnętrzną drogę dojazdową, objętej dotychczas w/w księgą wieczystą.
|
L.p. |
Numery działek na k.m.4 obrębu Brzezinka i powierzchnie |
Łączna cena wywoławcza nieruchomości pod zabudowę i udziału w drodze (netto) |
Wysokość wadium |
|
1. |
2. |
3. |
4. |
|
1. |
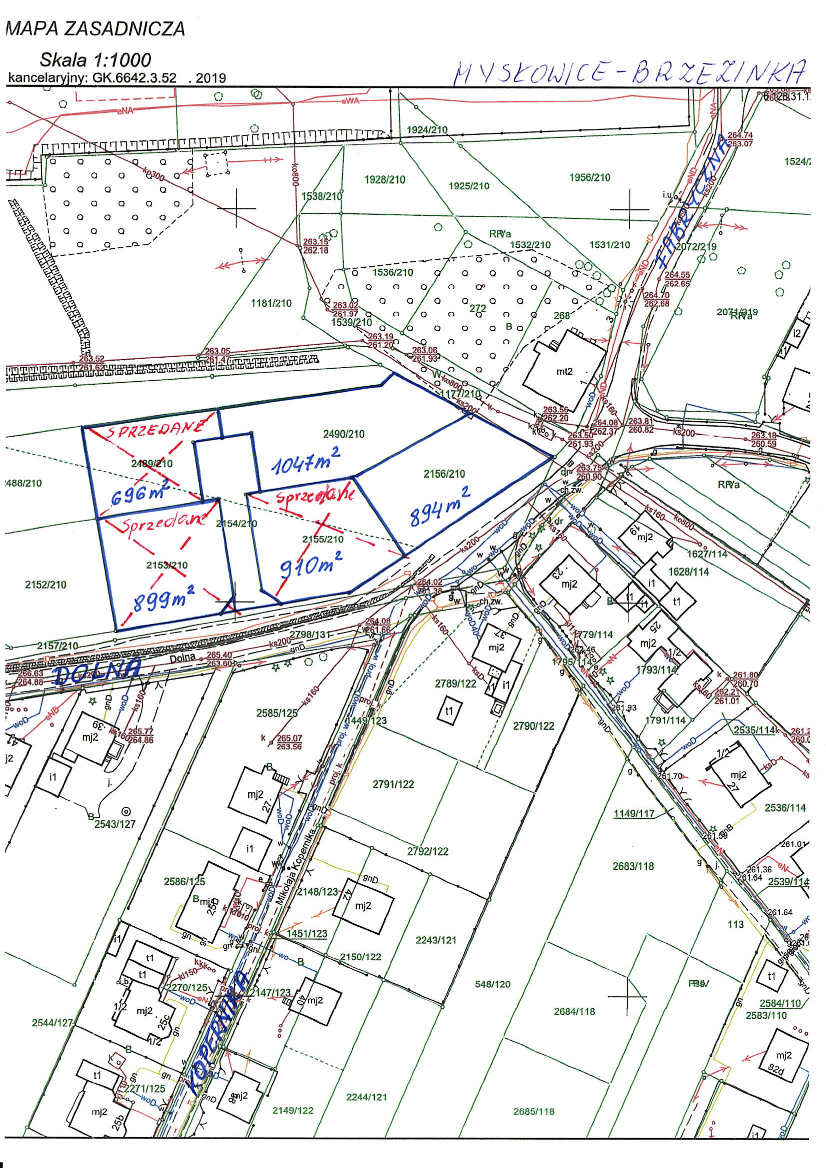
Działka nr 2490/210 o pow. 1047 m2 + udział 1/4 cz. w działce nr 2154/210 o pow. 446 m2 |
121.500,-zł |
24.300,-zł |
Przeprowadzony w dniu 30.06.2020 r. pierwszy ustny przetarg nieograniczony na sprzedaż nin. nieruchomości, zakończył się wynikiem negatywnym. Zgodnie z uchwalonym przez Radę Miasta Mysłowice uchwałą nr L/778/18 z dnia 26 kwietnia 2018 roku, miejscowym planem zagospodarowania przestrzennego „Brzezinka Zachodnia” w Mysłowicach, w/w działki położone są w strefie ozn. symbolem 7MN – tereny zabudowy mieszkaniowej jednorodzinnej. Zbywane działki znajdują się na obszarze terenu górniczego, w związku z czym wznoszenie trwałych budowli i urządzeń, wymaga uzgodnienia z właściwym organem państwowego nadzoru górniczego. Zagospodarowanie nin. nieruchomości nastąpi na podstawie ustaleń obowiązującego planu miejscowego. W/w działki nie są obciążone prawami osób trzecich i nie są przedmiotem zobowiązań. Działy III i IV księgi wieczystej prowadzonej dla nin. działek nie zawierają wpisów.
Przetarg jest ważny bez względu na liczbę jego uczestników, jeżeli przynajmniej jeden uczestnik przetargu zaoferuje co najmniej jedno postąpienie powyżej ceny wywoławczej nieruchomości. O wysokości postąpienia decydują uczestnicy przetargu z tym, że postąpienie w przetargu nie może wynosić mniej niż 1% ceny wywoławczej nieruchomości, z zaokrągleniem w górę do pełnych dziesiątek złotych. Cena osiągnięta w przetargu za nieruchomość podlega zapłacie nie później niż do dnia zawarcia notarialnej umowy przenoszącej własność nieruchomości. Do wylicytowanej ceny sprzedaży (działki pod zabudowę i udziału w drodze), zostanie doliczony podatek VAT według stawki obowiązującej na dzień sprzedaży (na dzień ogłaszania przetargu podatek VAT wynosi 23%). Osoba, która wygra przetarg, zobowiązana będzie do zapłaty wylicytowanej ceny sprzedaży nieruchomości wraz z należnym podatkiem VAT w całości, nie później niż do dnia zawarcia notarialnej umowy sprzedaży nieruchomości, na konto Urzędu Miasta Mysłowice, wskazane w zawiadomieniu o miejscu i terminie zawarcia umowy sprzedaży. Za potwierdzenie wpłaty przyjmuje się datę uznania wskazanego rachunku bankowego Urzędu Miasta Mysłowice.
Przetarg odbędzie się w dniu 27 października 2020 r. o godz. 10.30 w sali nr 204
Urzędu Miasta w Mysłowicach przy ul. Powstańców 1.
W przetargu mogą brać udział osoby, które najpóźniej do dnia 21 października 2020 r. wniosą wyżej wym. wadium w pieniądzu wpłacając je na konto depozytowe Urzędu Miasta Mysłowice Nr 13 1050 1214 1000 0023 5654 6974 ING Bank Śląski, z podaniem nr działki. Za datę wniesienia wadium uważa się datę wpływu środków pieniężnych na powyższy rachunek bankowy. Wadium wpłacone przez uczestnika przetargu, który przetarg wygra zostanie zaliczone na poczet ceny nabycia nieruchomości, w dniu zapłaty reszty ceny sprzedaży. Pozostałym uczestnikom przetargu wadium jest zwracane w terminie 3 dni od dnia zamknięcia przetargu (bez oprocentowania), na konto przez nich wskazane. Organizator przetargu jest obowiązany zawiadomić osobę ustaloną jako nabywca nieruchomości o miejscu i terminie zawarcia umowy sprzedaży, najpóźniej w ciągu 21 dni od dnia rozstrzygnięcia przetargu. Wyznaczony termin nie może być krótszy niż 7 dni od dnia doręczenia zawiadomienia. Jeżeli osoba ustalona jako nabywca nieruchomości nie przystąpi bez usprawiedliwienia do zawarcia umowy w miejscu i w terminie podanych w zawiadomieniu, organizator przetargu może odstąpić od zawarcia umowy, a wpłacone wadium nie podlega zwrotowi.
Przed otwarciem przetargu jego uczestnik winien przedłożyć Komisji Przetargowej:
-
Dowód wniesienia wadium (oryginał).
-
Dokument tożsamości.
-
Aktualny wypis lub zaświadczenie z właściwego rejestru wystawione nie wcześniej niż 6 miesięcy przed upływem terminu przetargu w przypadku, gdy nieruchomość będzie nabywana przez uczestnika przetargu w ramach prowadzonej działalności gospodarczej, a w przypadku wspólników spółek cywilnych także umowę spółki cywilnej.
-
Oryginał pełnomocnictwa potwierdzonego notarialnie, upoważniającego do działania na każdym etapie postępowania przetargowego, w przypadku osoby reprezentującej uczestnika przetargu.
-
Pisemną zgodę współmałżonka na odpłatne nabycie nieruchomości, w przypadku uczestnika przetargu zamierzającego samodzielnie licytować nieruchomość nabywaną do majątku wspólnego.
-
Oświadczenie, że oferent zapoznał się z dokumentacją zbywanej nieruchomości, jej stanem faktycznym i prawnym oraz z warunkami przetargu i przyjmuje je bez zastrzeżeń.
-
Oświadczenie, że oferent wyraża zgodę na przetwarzanie swoich danych osobowych, w tym również ich udostępnienie do publicznej wiadomości w zakresie zbycia przedmiotowej nieruchomości w drodze przetargu.
-
Numer i nazwę rachunku bankowego, na które zostanie zwrócone wadium, w przypadku nie wygrania przetargu.
Nabycie nieruchomości przez cudzoziemców może nastąpić w przypadku uzyskania zezwolenia Ministra Spraw Wewnętrznych i Administracji, jeżeli wymagają tego przepisy ustawy z dnia 24 marca 1920 r. o nabywaniu nieruchomości przez cudzoziemców. Nabywca zobowiązany jest do ustalenia we własnym zakresie, czy nabycie nieruchomości będącej przedmiotem przetargu wymaga uzyskania zezwolenia.
Dodatkowe informacje dot. zbywanych działek oraz warunki realizacji zamierzeń inwestycyjnych:
1. Zbywana działka nr 2490/210 jest niezabudowana, położona w Mysłowicach – Brzezince w drugiej linii zabudowy ul. Dolnej, przeznaczona do sprzedaży na cele zabudowy mieszkaniowej jednorodzinnej, zgodnie z zapisami wyżej wym. miejscowego planu zagospodarowania przestrzennego. Teren zbywanych działek jest zróżnicowany i opada w kierunku północno wschodnim (na terenie niżej położonym istnieje możliwość gromadzenia się wody). Na działkach położonych przy ul. Dolnej (w pobliżu zakrętu) znajduje się duże skupisko drzew, pozostały teren porośnięty jest pojedynczymi drzewami i krzakami. Obsługa komunikacyjna zbywanej nieruchomości będzie się odbywać z ul. Dolnej, poprzez działkę drogową gminną nr 2157/210 (stanowiącą pas drogowy ul. Dolnej), a następnie poprzez działkę nr 2154/210, przeznaczoną pod wewnętrzną drogę dojazdową, w której Gmina Mysłowice sprzedawać będzie swoje udziały. Lokalizację zjazdu z drogi publicznej nabywca uzgodni z zarządcą drogi w odrębnym postępowaniu.
2. Nabywca zobowiązany będzie we własnym zakresie i na własny koszt w razie potrzeby: Wykonać badanie geotechniczne gruntu; Uporządkować teren, a w razie wystąpienia konieczności odwodnienia działek wykonać je na własny koszt; Dokonać wycinki zieleni, po wcześniejszym uzyskaniu decyzji zezwalającej na usunięcie drzew i krzewów kolidujących z planowaną inwestycją (ewentualne opłaty z tym związane ponosi nabywca); Uzyskać aktualne uzgodnienia branżowe przebiegu sieci i urządzeń uzbrojenia terenu; Zrealizować niezbędne dla zamierzonej inwestycji uzbrojenie techniczne i uzyskać we własnym zakresie zapewnienia dostawy mediów oraz odbioru ścieków i wód opadowych. Współwłaściciele działki nr 2154/210, przeznaczonej pod wewnętrzną drogę dojazdową, zobowiązani będą na własny koszt i własnym staraniem wspólnie: wykonać na tej działce drogę do działek nabytych w przetargu oraz zarurować na szerokości wjazdu istniejący rów przydrożny.
3. W przypadku wystąpienia w obrębie nabytych działek sieci nie ujawnionych na istniejących mapach i dokumentach, a kolidujących z inwestycją, Miasto Mysłowice nie będzie ponosiło z tego tytułu żadnej odpowiedzialności.
4. Nabywca zobowiązany również będzie do poniesienia w całości kosztów notarialnych oraz kosztów i opłat sądowych związanych z nabyciem nieruchomości.
Treść nin. ogłoszenia dostępna jest na stronie internetowej miasta i w Biuletynie Informacji Publicznej oraz na tablicy ogłoszeń w siedzibie Urzędu Miasta Mysłowice przy ul. Powstańców 1 (na II piętrze) obok pok. 302, a także dodatkowo na tablicy ogłoszeń znajdującej się na zewnątrz, obok budynku UM Mysłowice. Szczegółowych informacji nt. przetargu można uzyskać w Wydziale Geodezji i Gospodarki Nieruchomościami tel. 32 31 71 236 (pok. 302), w którym znajduje się dokumentacja zbywanej nieruchomości. Szczegółowych informacji o możliwości zabudowy i zagospodarowania działki można uzyskać w Wydziale Architektury, Budownictwa i Planowania Urzędu Miasta w Mysłowicach tel. 32 31 71 320 (w godz. pracy urzędu).
Treść ogłoszenia (75.5 KB)









