2021
Prezydent Miasta Mysłowice
ogłasza trzeci ustny przetarg nieograniczony
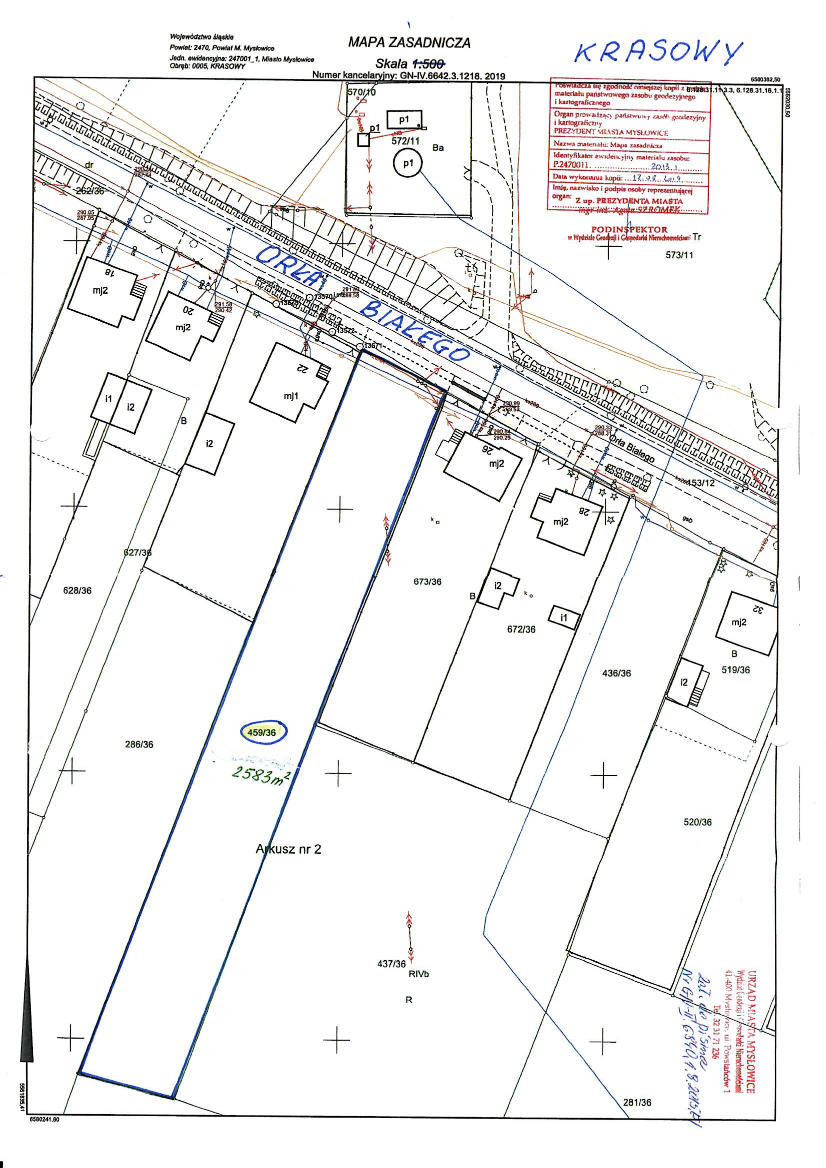
na sprzedaż nieruchomości niezabudowanej, stanowiącej własność Gminy Mysłowice, położonej w Mysłowicach - Krasowach przy ul. Orła Białego, obejmującej działkę nr 459/36 o pow. 2583 m2, na karcie mapy 2 obrębu 0005 Krasowy, zapisanej w księdze wieczystej nr KA1L/00025267/3 Sądu Rejonowego w Mysłowicach, z przeznaczeniem na cele mieszkaniowe. Przeprowadzone ustne przetargi nieograniczone na sprzedaż nin. nieruchomości tj. pierwszy przetarg w dniu 20.10.2020 r., a drugi przetarg w dniu 16.02.2021 r. - zakończyły się wynikiem negatywnym. Wyżej wym. nieruchomość nie posiada opracowanego miejscowego planu zagospodarowania przestrzennego, a w obowiązującym Studium Uwarunkowań i Kierunków Zagospodarowania Przestrzennego Miasta Mysłowice, uchwalonym przez Radę Miasta Mysłowice uchwałą Nr XXX/656/08 z dnia 30 października 2008 r., położona jest częściowo w strefie ozn. symbolem: K.29.MN - tereny zabudowy jednorodzinnej (północna część działki) oraz K.30.ZE-I - tereny otwarte w ciągach dolin (pasma ekologiczne) oraz tereny cenne pod względem przyrodniczo – krajobrazowym wyłączone z zabudowy (południowa część działki), a także minimalnie północna część działki, położona jest w strefie drogi ul. Orła Białego – oznaczenie KDZ - tereny dróg publicznych i węzłów komunikacyjnych. Zagospodarowanie nieruchomości nastąpi na podstawie szczegółowych warunków, które zostaną określone w decyzji o warunkach zabudowy, wydanej na wniosek nabywcy. Działy III i IV księgi wieczystej prowadzonej dla wyżej wym. nieruchomości nie zawierają wpisów.
Cena wywoławcza nieruchomości wynosi 163.000,-zł
(słownie: sto sześćdziesiąt trzy tysiące złotych).
Przetarg jest ważny bez względu na liczbę jego uczestników, jeżeli przynajmniej jeden uczestnik przetargu zaoferuje co najmniej jedno postąpienie powyżej ceny wywoławczej nieruchomości. O wysokości postąpienia decydują uczestnicy przetargu z tym, że postąpienie w przetargu nie może wynosić mniej niż 1% ceny wywoławczej nieruchomości, z zaokrągleniem w górę do pełnych dziesiątek złotych. Cena osiągnięta w przetargu za nieruchomość podlega zapłacie w całości, nie później niż do dnia zawarcia umowy przenoszącej własność nieruchomości, gdzie za potwierdzenie wpłaty przyjmuje się datę uznania rachunku bankowego Urzędu Miasta Mysłowice, wskazanego w zawiadomieniu o miejscu i terminie zawarcia umowy sprzedaży. Sprzedaż nieruchomości może podlegać, zgodnie z przepisami, opodatkowaniu podatkiem VAT według stawki obowiązującej na dzień sprzedaży. Na dzień ogłaszania przetargu, sprzedaż nin. działki zwolniona jest od podatku VAT na podstawie art. 43 ust. 1 pkt 9 ustawy z dnia 11 marca 2004 r. o podatku od towarów i usług (tekst jednolity Dz.U. z 2020 r. poz. 106 z późn.zm.), w związku z art. 2 pkt 33 tej ustawy.
Przetarg odbędzie się w dniu 27 kwietnia 2021 r. o godz. 10.30 w sali nr 204
Urzędu Miasta w Mysłowicach przy ul. Powstańców 1.
W przetargu mogą brać udział osoby, które najpóźniej do dnia 21 kwietnia 2021 r. wniosą wadium w pieniądzu w wysokości 32.600,-zł (słownie: trzydzieści dwa tysiące sześćset złotych), wpłacając je na konto depozytowe Urzędu Miasta Mysłowice Nr 13 1050 1214 1000 0023 5654 6974 ING Bank Śląski, z podaniem w/w nr działki. Za datę wniesienia wadium uważa się datę wpływu środków pieniężnych na powyższy rachunek bankowy. Wadium wpłacone przez uczestnika przetargu, który przetarg wygra zostanie zaliczone na poczet ceny nabycia nieruchomości, w dniu zapłaty reszty ceny sprzedaży. Pozostałym uczestnikom przetargu wadium jest zwracane w terminie 3 dni od dnia zamknięcia przetargu (bez oprocentowania), na konto przez nich wskazane. Organizator przetargu jest obowiązany zawiadomić osobę ustaloną jako nabywca nieruchomości o miejscu i terminie zawarcia umowy sprzedaży, najpóźniej w ciągu 21 dni od dnia rozstrzygnięcia przetargu. Wyznaczony termin nie może być krótszy niż 7 dni od dnia doręczenia zawiadomienia. Jeżeli osoba ustalona jako nabywca nieruchomości nie przystąpi bez usprawiedliwienia do zawarcia umowy w miejscu i w terminie podanych w zawiadomieniu, organizator przetargu może odstąpić od zawarcia umowy, a wpłacone wadium nie podlega zwrotowi.
Przed otwarciem przetargu jego uczestnik winien przedłożyć Komisji Przetargowej:
-
Dowód wniesienia wadium (oryginał).
-
Dokument tożsamości.
-
Aktualny wypis lub zaświadczenie z właściwego rejestru wystawione nie wcześniej niż 6 miesięcy przed upływem terminu przetargu w przypadku, gdy nieruchomość będzie nabywana przez uczestnika przetargu w ramach prowadzonej działalności gospodarczej, a w przypadku wspólników spółek cywilnych także umowę spółki cywilnej.
-
Oryginał pełnomocnictwa potwierdzonego notarialnie, upoważniającego do działania na każdym etapie postępowania przetargowego, w przypadku osoby reprezentującej uczestnika przetargu.
-
Pisemną zgodę współmałżonka na odpłatne nabycie nieruchomości, w przypadku uczestnika przetargu zamierzającego samodzielnie licytować nieruchomość nabywaną do majątku wspólnego.
-
Oświadczenie, że oferent zapoznał się z dokumentacją zbywanej nieruchomości, jej stanem faktycznym i prawnym oraz z warunkami przetargu i przyjmuje je bez zastrzeżeń.
-
Oświadczenie, że oferent wyraża zgodę na przetwarzanie swoich danych osobowych, w tym również ich udostępnienie do publicznej wiadomości w zakresie zbycia przedmiotowej nieruchomości w drodze przetargu.
-
Numer i nazwę rachunku bankowego, na które zostanie zwrócone wadium, w przypadku nie wygrania przetargu.
Nabycie nieruchomości przez cudzoziemców może nastąpić w przypadku uzyskania zezwolenia Ministra Spraw Wewnętrznych i Administracji, jeżeli wymagają tego przepisy ustawy z dnia 24 marca 1920 r. o nabywaniu nieruchomości przez cudzoziemców. Nabywca zobowiązany jest do ustalenia we własnym zakresie, czy nabycie nieruchomości będącej przedmiotem przetargu wymaga uzyskania zezwolenia.
Dodatkowe informacje dot. zbywanej działki oraz warunki realizacji zamierzeń inwestycyjnych:
1. Zbywana działka nr 459/36 jest niezabudowana, położona w Mysłowicach – Krasowach przy ul. Orła Białego (pomiędzy Nr 22, a Nr 26), wyznaczona do sprzedaży na cele mieszkaniowe. Nin. nieruchomość posiada kształt zbliżony do prostokąta – działka długa, a wąska (ok. 18 m szerokości), porośnięta jest samosiejkami drzew i krzewów. Teren działki w części południowej jest lekko obniżony, posiada trudne warunki gruntowo wodne. W północno – wschodniej części w/w działki (w kierunku północ – południe) przebiega czynna napowietrzna linia energetyczna 20 kV (która utrudnia zagospodarowanie działki pod zabudowę), a we wschodniej oraz północnej granicy działki stoją dwa słupy tej sieci. Ponadto w północnej części działki stoi słup teletechniczny oraz wzdłuż ul. Orła Białego, przez działkę, przebiegają podziemne sieci uzbrojenia terenu: energetyczna, wodociągowa, teletechniczna, a w granicy działki przebiega sieć gazowa. Nin. grunt może być wykorzystany pod zabudowę z zastrzeżeniem, że projektowane obiekty budowlane nie mogą naruszać istniejącego uzbrojenia terenu i przy ich lokalizacji zostaną zachowane odpowiednie odległości od sieci. W przypadku, gdyby jednak projektowana zabudowa kolidowała z przebiegającymi sieciami, nabywca dokona ich przełożenia na własny koszt, po uzgodnieniu z gestorami sieci. Nabywca zobowiązany będzie zapewnić właścicielom sieci dostęp do sieci i urządzeń, celem przeprowadzenia konserwacji lub usunięcia awarii. Obsługa komunikacyjna zbywanej nieruchomości będzie się odbywać z drogi publicznej ul. Orła Białego. Lokalizację zjazdu nabywca uzgodni z zarządcą drogi w odrębnym postępowaniu.
2. Nabywca zobowiązany będzie we własnym zakresie i na własny koszt w razie potrzeby: Wykonać badanie geotechniczne gruntu; Dokonać wycinki zieleni, po wcześniejszym uzyskaniu decyzji zezwalającej na usunięcie drzew i krzewów kolidujących z planowaną inwestycją (ewentualne opłaty z tym związane ponosi nabywca); Uporządkować teren, a w razie wystąpienia konieczności odwodnienia działki wykonać je na własny koszt; Uzyskać aktualne uzgodnienia branżowe przebiegu sieci i urządzeń uzbrojenia terenu; Zrealizować niezbędne dla zamierzonej inwestycji uzbrojenie techniczne i uzyskać we własnym zakresie zapewnienia dostawy mediów oraz odbioru ścieków i wód opadowych.
3. W przypadku wystąpienia w obrębie nabytej działki sieci nie ujawnionych na istniejących mapach i dokumentach, a kolidujących z inwestycją, jak też wystąpienia zmian w przepisach w tym dotyczących zagospodarowania przestrzennego, Miasto Mysłowice nie będzie ponosiło z tego tytułu żadnej odpowiedzialności.
4. Nabywca zobowiązany również będzie do poniesienia w całości kosztów notarialnych oraz kosztów i opłat sądowych związanych z nabyciem nieruchomości.
Treść nin. ogłoszenia dostępna jest na stronie internetowej w Biuletynie Informacji Publicznej www.bip.myslowice.pl/nieruchomości/ogłoszenia o przetargach na sprzedaż lub dzierżawę nieruchomości lub www.bip.myslowice.pl/przetargi na nieruchomości oraz na tablicy ogłoszeń w siedzibie Urzędu Miasta Mysłowice przy ul. Powstańców 1 (na II piętrze) obok pok. 302. Szczegółowych informacji nt. przetargu można uzyskać w Wydziale Geodezji i Gospodarki Nieruchomościami tel. 32 31 71 236 (pok. 311), w którym znajduje się dokumentacja zbywanej nieruchomości. Szczegółowych informacji o możliwości zabudowy i zagospodarowania działki można uzyskać w Wydziale Architektury, Planowania i Strategii Urzędu Miasta w Mysłowicach tel. 32 31 71 320 (w godz. pracy urzędu).
Treść ogłoszenia (66.51 KB)









