2021
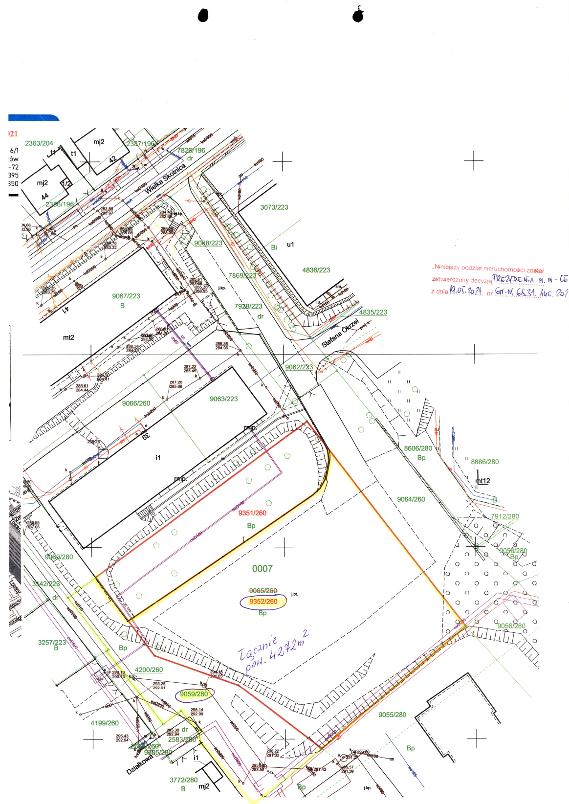
Prezydent Miasta Mysłowice ogłasza ustny przetarg nieograniczony na sprzedaż nieruchomości niezabudowanych o łącznej pow. 4272 m2, stanowiących własność Gminy Mysłowice, położonych w Mysłowicach w rejonie ul. Wielkiej Skotnicy i ul. Działkowej, obejmujących działki położone na arkuszu mapy 3 obrębu 0007 Mysłowice, oznaczone: nr 9352/260 o pow. 3217 m2 księga wieczysta nr KA1L/00023042/6 i nr 9059/280 o pow. 1055 m2 księga wieczysta nr KA1L/00005716/0 Sądu Rejonowego w Mysłowicach, z przeznaczeniem na cele zgodne z zapisami obowiązującego Studium Uwarunkowań i Kierunków Zagospodarowania Przestrzennego Miasta Mysłowice. Nin. działki nie posiadają opracowanego miejscowego planu zagospodarowania przestrzennego, a w obowiązującym Studium Uwarunkowań i Kierunków Zagospodarowania Przestrzennego Miasta Mysłowice, uchwalonym przez Radę Miasta Mysłowice, uchwałą Nr XXX/656/08 z dnia 30 października 2008 r., położone są w obszarze oznaczonym symbolem D.4.MW – tereny zabudowy wielorodzinnej. Z uwagi na bezpośrednie sąsiedztwo budynków o funkcji mieszkaniowej, preferowane jest zagospodarowanie nin. terenu zgodnie z pierwotnym przeznaczeniem w wyżej wym. Studium tj. zabudowa wielorodzinna, jak również usługowo – handlowa, stanowiąca uzupełnienie wiodącej na tym terenie funkcji mieszkaniowej. Dla zabudowy wielorodzinnej wskazane jest również uwzględnienie terenów zielonych i miejsc rekreacji (skwer, plac zabaw). Zagospodarowanie nieruchomości nastąpi na podstawie szczegółowych warunków, które zostaną określone w decyzji o warunkach zabudowy, wydanej na wniosek nabywcy. Działy III i IV ksiąg wieczystych prowadzonych dla wyżej wym. działek nie zawierają wpisów.
Cena wywoławcza nieruchomości wynosi 2.220.000,-zł
(słownie: dwa miliony dwieście dwadzieścia tysięcy złotych)
Przetarg jest ważny bez względu na liczbę jego uczestników, jeżeli przynajmniej jeden uczestnik przetargu zaoferuje co najmniej jedno postąpienie powyżej ceny wywoławczej nieruchomości. O wysokości postąpienia decydują uczestnicy przetargu z tym, że postąpienie w przetargu nie może wynosić mniej niż 1% ceny wywoławczej nieruchomości, z zaokrągleniem w górę do pełnych dziesiątek złotych. Cena osiągnięta w przetargu za nieruchomość podlega zapłacie w całości, nie później niż do dnia zawarcia umowy przenoszącej własność nieruchomości, gdzie za potwierdzenie wpłaty przyjmuje się datę uznania rachunku bankowego Urzędu Miasta Mysłowice, wskazanego w zawiadomieniu o miejscu i terminie zawarcia umowy sprzedaży. Sprzedaż nieruchomości może podlegać, zgodnie z przepisami, opodatkowaniu podatkiem VAT według stawki obowiązującej na dzień sprzedaży. Na dzień ogłaszania przetargu, sprzedaż nin. działki zwolniona jest od podatku VAT na podstawie art. 43 ust. 1 pkt 9 ustawy z dnia 11 marca 2004 r. o podatku od towarów i usług (tekst jednolity Dz.U. z 2020 r. poz. 106 z późn. zm.), w związku z art. 2 pkt 33 tej ustawy.
Przetarg odbędzie się w dniu 16 listopada 2021 r. o godz. 10.00 w sali nr 204
Urzędu Miasta w Mysłowicach przy ul. Powstańców 1.
W przetargu mogą brać udział osoby, które najpóźniej do dnia 10 listopada 2021 r. wniosą wadium w pieniądzu w wysokości 444.000,-zł (słownie: czterysta czterdzieści cztery tysiące złotych), wpłacając je na konto depozytowe Urzędu Miasta Mysłowice Nr 13 1050 1214 1000 0023 5654 6974 ING Bank Śląski, z podaniem w/w nr działek. Za datę wniesienia wadium uważa się datę wpływu środków pieniężnych na powyższy rachunek bankowy. Wadium wpłacone przez uczestnika przetargu, który przetarg wygra zostanie zaliczone na poczet ceny nabycia nieruchomości, w dniu zapłaty reszty ceny sprzedaży. Pozostałym uczestnikom przetargu wadium jest zwracane w terminie 3 dni od dnia zamknięcia przetargu (bez oprocentowania), na konto przez nich wskazane. Organizator przetargu jest obowiązany zawiadomić osobę ustaloną jako nabywca nieruchomości o miejscu i terminie zawarcia umowy sprzedaży, najpóźniej w ciągu 21 dni od dnia rozstrzygnięcia przetargu. Wyznaczony termin nie może być krótszy niż 7 dni od dnia doręczenia zawiadomienia. Jeżeli osoba ustalona jako nabywca nieruchomości nie przystąpi bez usprawiedliwienia do zawarcia umowy w miejscu i w terminie podanych w zawiadomieniu, organizator przetargu może odstąpić od zawarcia umowy, a wpłacone wadium nie podlega zwrotowi.
Przed otwarciem przetargu jego uczestnik winien przedłożyć Komisji Przetargowej:
-
Dowód wniesienia wadium (oryginał).
-
Dokument tożsamości.
-
Aktualny wypis lub zaświadczenie z właściwego rejestru wystawione nie wcześniej niż 6 miesięcy przed upływem terminu przetargu w przypadku, gdy nieruchomość będzie nabywana przez uczestnika przetargu w ramach prowadzonej działalności gospodarczej, a w przypadku wspólników spółek cywilnych także umowę spółki cywilnej.
-
Oryginał pełnomocnictwa potwierdzonego notarialnie, upoważniającego do działania na każdym etapie postępowania przetargowego, w przypadku osoby reprezentującej uczestnika przetargu.
-
Pisemną zgodę współmałżonka na odpłatne nabycie nieruchomości, w przypadku uczestnika przetargu zamierzającego samodzielnie licytować nieruchomość nabywaną do majątku wspólnego.
-
Oświadczenie, że oferent zapoznał się z dokumentacją zbywanej nieruchomości, jej stanem faktycznym i prawnym oraz z warunkami przetargu i przyjmuje je bez zastrzeżeń.
-
Oświadczenie, że oferent wyraża zgodę na przetwarzanie swoich danych osobowych, w tym również ich udostępnienie do publicznej wiadomości w zakresie zbycia przedmiotowej nieruchomości w drodze przetargu.
-
Numer i nazwę rachunku bankowego, na które zostanie zwrócone wadium, w przypadku nie wygrania przetargu.
Nabycie nieruchomości przez cudzoziemców może nastąpić w przypadku uzyskania zezwolenia ministra właściwego do spraw wewnętrznych, jeżeli wymagają tego przepisy ustawy z dnia 24 marca 1920 r. o nabywaniu nieruchomości przez cudzoziemców. Nabywca zobowiązany jest do ustalenia we własnym zakresie, czy nabycie nieruchomości będącej przedmiotem przetargu wymaga uzyskania zezwolenia.
Dodatkowe informacje dot. zbywanych działek oraz warunki realizacji zamierzeń inwestycyjnych:
1. Działki nr 9352/260 i nr 9059/280 są niezabudowane, położone w Mysłowicach w rejonie ul. Wielkiej Skotnicy i ul. Działkowej, przeznaczone do sprzedaży łącznie jako jedna zorganizowana całość gospodarcza o ogólnej pow. 4272 m2, z przeznaczeniem na cele zgodne z zapisami wyżej wym. Studium. Zbywana nieruchomość posiada kształt wielokąta. Teren nieruchomości jest częściowo pokryty asfaltem, a w pozostałej części porośnięty zielenią nieurządzoną. Na części nieruchomości znajdują się skarpy oraz gruz budowlany, a przy granicy nieruchomości występują kolidujące sieci uzbrojenia technicznego (kanalizacja ogólnospławna i deszczowa, studzienki kanalizacyjne, sieci ciepłownicze c.o. o wysokich parametrach, komora ciepłownicza), które nie mają negatywnego wpływu na możliwości zagospodarowania nieruchomości. Nin. grunt może być wykorzystany pod zabudowę z zastrzeżeniem, że projektowane obiekty budowlane nie mogą naruszać istniejącego uzbrojenia podziemnego terenu i przy ich lokalizacji zostaną zachowane odpowiednie odległości od sieci i urządzeń uzbrojenia terenu. Nabywca zobowiązany będzie zapewnić właścicielom sieci dostęp do sieci i urządzeń, celem przeprowadzenia konserwacji lub usunięcia awarii. W przypadku gdyby jednak projektowana zabudowa kolidowała z przebiegającymi sieciami, nabywca dokona ich przełożenia na własny koszt, po uzgodnieniu z gestorami sieci. Na części zbywanej działki nr 9059/280, wzdłuż wschodniej jej granicy z sąsiednią działką nr 9351/260, znajduje się fragment ogrodzenia placu rekreacji i wypoczynku, który zlokalizowany jest na działce gminnej nr 9351/260 (ogrodzenia znajduje się ok. 15 cm od granicy). Nabywca własnym staraniem i na własny koszt przesunie fragment istniejącego ogrodzenie do granic w/w nieruchomości, po wcześniejszym uzgodnieniu z właścicielem działki nr 9351/260.
2. Obsługa komunikacyjna zbywanego terenu będzie się odbywać z drogi publicznej ul. Wielka Skotnica po działkach gminnych nr: 9068/223, 7928/223 i 9064/260, stanowiących wewnętrzną drogę dojazdową. Ponadto teren ten posiada bezpośredni dostęp do drogi publicznej ulicy Działkowej. Lokalizację zjazdu nabywca uzgodni z zarządcą drogi w odrębnym postępowaniu.
3. Nabywca zobowiązany będzie we własnym zakresie i na własny koszt w razie potrzeby: Wykonać badanie geotechniczne gruntu; Dokonać wycinki zieleni, po wcześniejszym uzyskaniu decyzji zezwalającej na usunięcie drzew i krzewów kolidujących z planową inwestycją (ewentualne opłaty z tym związane ponosi nabywca); Dokonać drenażu i odwodnienia nieruchomości; Uporządkować teren; Uzyskać uzgodnienia branżowe przebiegu sieci i urządzeń uzbrojenia terenu; Zrealizować niezbędne dla zamierzonej inwestycji uzbrojenie techniczne i uzyskać we własnym zakresie zapewnienia dostawy mediów oraz odbioru ścieków i wód opadowych; Przesunąć fragment istniejącego w terenie ogrodzenia do granic nieruchomości.
4. W przypadku wystąpienia w obrębie nabytych działek sieci nie ujawnionych na istniejących mapach i dokumentach, a kolidujących z inwestycją, jak też wystąpienia zmian w przepisach w tym dotyczących zagospodarowania przestrzennego, Miasto Mysłowice nie będzie ponosiło z tego tytułu żadnej odpowiedzialności.
5. Nabywca zobowiązany również będzie do poniesienia w całości kosztów notarialnych oraz kosztów i opłat sądowych związanych z nabyciem nieruchomości.
Treść nin. ogłoszenia dostępna jest na stronie internetowej w Biuletynie Informacji Publicznej oraz na tablicy ogłoszeń w siedzibie Urzędu Miasta Mysłowice przy ul. Powstańców 1 (na II piętrze) obok pok. 302. Szczegółowych informacji nt. przetargu można uzyskać w Wydziale Geodezji i Gospodarki Nieruchomościami tel. 32 31 71 236 (pok. 311), w którym znajduje się dokumentacja zbywanej nieruchomości. Szczegółowych informacji o możliwości zabudowy i zagospodarowania nieruchomości można uzyskać w Wydziale Architektury, Planowania i Strategii Urzędu Miasta w Mysłowicach tel. 32 31 71 320 (w godz. pracy urzędu).
Treść (76.02 KB)
Mapa zasadnicza (1650.84 KB)









