2022
Prezydent Miasta Mysłowice
ogłasza ustny przetarg ograniczony
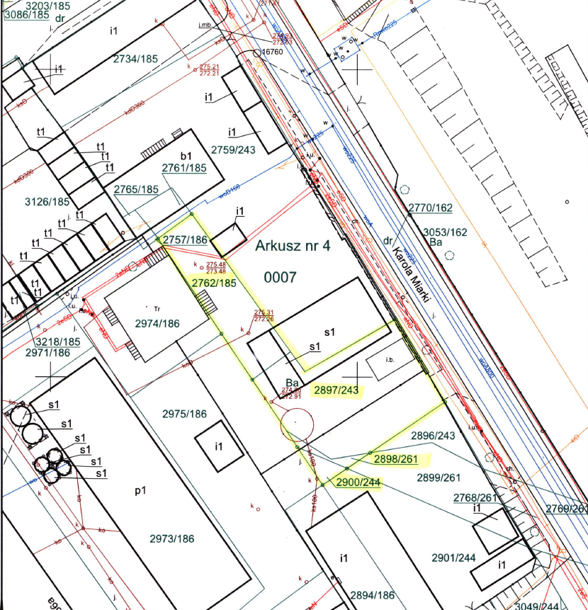
na sprzedaż nieruchomości zabudowanej, stanowiącej własność Gminy Mysłowice, położonej w Mysłowicach przy ulicy Karola Miarki, obejmującej działki o numerach: 2897/243 o powierzchni 405 m², 2900/244 o powierzchni 18 m², 2898/261 o powierzchni 13 m², 2762/185 o powierzchni 199 m², obręb Mysłowice, a.m. 4, dla której w Sądzie Rejonowym w Mysłowicach prowadzona jest księga wieczysta numer KA1L/00042589/1. Nieruchomość obciążona jest 5 (pięcioma) umowami dzierżawy zawartymi na czas oznaczony i nieoznaczony. Działki o numerach 2897/243, 2898/261 w części o łącznej powierzchni 41,25 m² zabudowane osadnikiem Imhoffa stanowią przedmiot trzech umów dzierżaw zawartych na czas nieoznaczony, które zostały zawarte ze współwłaścicielami tego osadnika w udziałach odpowiadających współwłasności. Dwie umowy zostały zawarte na czas oznaczony. Pierwsza z nich obowiązuje do dnia 30 kwietnia 2023 roku, obejmując teren o powierzchni 439 m² z działek o numerach 2762/185 i 2897/243, wydzierżawiony z przeznaczeniem pod zieleń izolacyjną 332 m² i pod czasową lokalizację obiektu magazynowego i wiaty – 107 m². Druga umowa obowiązuje do dnia 28 lutego 2023 roku, obejmując teren o powierzchni 168 m² wydzierżawiony z przeznaczeniem pod drogę dojazdową do działki sąsiedniej oznaczonej numerem 2975/186. Nieruchomość znajduje się poza obszarem obowiązującego miejscowego planu zagospodarowania przestrzennego. W Studium uwarunkowań i kierunków zagospodarowania przestrzennego Miasta Mysłowice, przyjętym Uchwałą Rady Miasta Mysłowice nr L/761/21 z dnia 21 grudnia 2021 roku w/w działki pozostają w strefie oznaczonej symbolem UP – obszary zabudowy usługowej z produkcją. Nieruchomość nie może być wykorzystana i zagospodarowana jako odrębna i samodzielna nieruchomość z uwagi na zainwestowanie tego terenu w obiekty budowlane stanowiące nakłady dzierżawców, będących użytkownikami wieczystymi nieruchomości przyległych do tego gruntu. Może być natomiast zbyta jako nieruchomość na poprawę warunków zagospodarowania nieruchomości przyległych. Mając na uwadze fakt, że nieruchomość oznaczona jako działki o numerach 2897/243, 2900/244, 2898/261, 2762/185 o łącznej powierzchni 635 m² przylega do nieruchomości oznaczonych numerami działek: a) 2757/186, 2980/186; b) 2974/186; c) 2975/186; d) 2896/243, 2899/261, 2901/244; e) 2894/186; f) 2734/185, 2759/243, 2761/185, 2765/185 i każdy z właścicieli lub użytkowników wieczystych tych nieruchomości ma prawo ubiegać się o nabycie przedmiotowej nieruchomości w drodze bezprzetargowej, sprzedaż następuje w drodze przetargu ustnego ograniczonego do właścicieli i użytkowników wieczystych nieruchomości przyległych i jest ważny bez względu na liczbę uczestników, jeżeli przynajmniej jeden uczestnik przetargu zaoferuje co najmniej jedno postąpienie powyżej ceny wywoławczej nieruchomości. O wysokości postąpienia decydują uczestnicy przetargu z tym, że postąpienie w przetargu nie może wynosić mniej niż 1% ceny wywoławczej nieruchomości z zaokrągleniem w górę do pełnych dziesiątek złotych.
Cena wywoławcza nieruchomości wynosi 194.000,-zł
(słownie: sto dziewięćdziesiąt cztery tysiące złotych).
Sprzedaż nieruchomości podlegać będzie opodatkowaniu podatkiem VAT według stawki obowiązującej na dzień sprzedaży (na dzień ogłoszenia przetargu stawka podatku VAT wynosi 23%). Cena osiągnięta w przetargu za nieruchomość wraz z należnym podatkiem VAT podlega zapłacie w całości, nie później niż do dnia zawarcia umowy przenoszącej własność nieruchomości, gdzie za potwierdzenie wpłaty przyjmuje się datę uznania rachunku bankowego Urzędu Miasta Mysłowice, wskazanego w zawiadomieniu o miejscu i terminie zawarcia umowy sprzedaży.
Osoby do których przetarg został ograniczony, zainteresowane uczestnictwem w przetargu zobowiązane są do wniesienia wadium w kwocie 38.800,- zł (słownie: trzydzieści osiem tysięcy osiemset złotych) z zaznaczeniem numerów działek najpóźniej do dnia 19 września 2022 roku, wpłacając je na konto depozytowe Urzędu Miasta Mysłowice Nr 13 1050 1214 1000 0023 5654 6974 ING Bank Śląski. Za datę wniesienia wadium uważa się datę wpływu środków pieniężnych na powyższy rachunek bankowy. Osoby te powinny również do dnia 20 września 2022 roku do godziny 1000 w pokoju nr 311 Urzędu Miasta Mysłowice złożyć w zamkniętej kopercie z napisem „Przetarg ustny ograniczony – Karola Miarki”, dowody potwierdzające spełnienie warunków przetargu tj.:
1. Pisemne zgłoszenie uczestnictwa w ustnym przetargu ograniczonym, zawierające imiona i nazwiska wszystkich właścicieli, współwłaścicieli, użytkowników wieczystych lub współużytkowników wieczystych nieruchomości przyległych, serie i numery dowodów osobistych oraz oświadczenie o posiadaniu tytułu prawnego do nieruchomości przyległej do działek będących przedmiotem przetargu.
2. Aktualny odpis z księgi wieczystej prowadzonej dla nieruchomości przyległej do gruntu gminnego.
3. Mapę ewidencyjną, wydaną przez Wydział Geodezji Urzędu Miasta Mysłowice, potwierdzająca zapisy w księdze wieczystej.
4. Kserokopię wniesienia wadium.
5. Aktualny wypis lub zaświadczenie z właściwego rejestru wystawione nie wcześniej niż 6 miesięcy przed upływem terminu przetargu w przypadku, gdy nieruchomość będzie nabywana przez uczestnika przetargu w ramach prowadzonej działalności gospodarczej, a w przypadku wspólników spółek cywilnych także umowę spółki cywilnej.
6. Oryginał pełnomocnictwa potwierdzonego notarialnie, upoważniającego do działania na każdym etapie postępowania przetargowego, w przypadku osoby reprezentującej uczestnika przetargu.
7. Pisemną zgodę współmałżonka na odpłatne nabycie nieruchomości, w przypadku uczestnika przetargu zamierzającego samodzielnie licytować nieruchomość nabywaną do majątku wspólnego.
8. Oświadczenie, że oferent zapoznał się z opiniami i dokumentami dotyczącymi zbywanej nieruchomości, jej stanem faktycznym i prawnym oraz warunkami przetargu.
9. Oświadczenie oferenta, że przejmie na siebie wszelkie roszczenia, obowiązki wynikające z umów dzierżawy.
10. Oświadczenie, że oferent wyraża zgodę na przetwarzanie swoich danych osobowych, w tym również ich udostępnienie do publicznej wiadomości w zakresie zbycia przedmiotowej nieruchomości w drodze przetargu.
11. Numer rachunku bankowego, na które zostanie zwrócone wadium, w przypadku nie wygrania przetargu.
Komisja Przetargowa w dniu 21 września 2022 roku sprawdzi czy oferenci spełniają warunki przetargowe i zakwalifikuje ich do uczestnictwa w przetargu. Lista osób zakwalifikowanych do uczestnictwa w przetargu zostanie w dniu 22 września 2022 roku zamieszczona w Biuletynie Informacji Publicznej www.bip.myslowice.pl/nieruchomości oraz wywieszona na II piętrze w siedzibie Urzędu Miasta Mysłowice na tablicy ogłoszeń Wydziału Gospodarki Nieruchomościami.
Przetarg odbędzie się w dniu 27 września 2022 r. o godz. 10.00 w sali nr 309A
Urzędu Miasta w Mysłowicach przy ul. Powstańców 1.
Przed otwarciem przetargu (w dniu przetargu) jego uczestnik winien przedłożyć Komisji Przetargowej:
a) dowód wniesienia wadium (oryginał)
b) dokument tożsamości.
Wadium wpłacone przez uczestnika przetargu, który przetarg wygra zostanie zaliczone na poczet ceny nabycia nieruchomości, w dniu zapłaty reszty ceny sprzedaży. Pozostałym uczestnikom przetargu wadium jest zwracane w terminie 3 dni od dnia zamknięcia przetargu (bez oprocentowania), na konto przez nich wskazane. Organizator przetargu jest obowiązany zawiadomić osobę ustaloną jako nabywca nieruchomości o miejscu i terminie zawarcia umowy sprzedaży, najpóźniej w ciągu 21 dni od dnia rozstrzygnięcia przetargu. Wyznaczony termin nie może być krótszy niż 7 dni od dnia doręczenia zawiadomienia. Jeżeli osoba ustalona jako nabywca nieruchomości nie przystąpi bez usprawiedliwienia do zawarcia umowy w miejscu i w terminie podanych w zawiadomieniu, organizator przetargu może odstąpić od zawarcia umowy, a wpłacone wadium nie podlega zwrotowi.
Dodatkowe informacje dot. zbywanej nieruchomości oraz warunki realizacji zamierzeń inwestycyjnych:
1. Nieruchomość usytuowana jest w centrum Mysłowic, posiada nieregularny kształt i jest zabudowana obiektem składowo – magazynowym w wyniku rozbudowy budynku znajdującego się na działce numer 2759/243, stanowiącym własność użytkownika wieczystego, wiatą metalową nietrwale związaną z gruntem, przeznaczoną do rozbiórki, czynnym osadnikiem Imhoffa stanowiącym odrębną od gruntu własność użytkowników wieczystych. Nadto, na terenie gminnym znajdują się schody betonowe oraz wejście do budynku transformatora, wybudowanego w granicy działki numer 2974/186, a także studzienki kanalizacyjne.
2. Zagospodarowanie nieruchomości nastąpi z przeznaczeniem na cele zgodne z zapisami ww. studium, a uwagi na zainwestowanie na nieruchomości, uzasadnione jest jej wspólne zagospodarowanie z jedną z nieruchomości przyległych.
3. Gmina Mysłowice nie będzie ponosiła odpowiedzialności, w przypadku wystąpienia w obrębie nieruchomości sieci uzbrojenia podziemnego nie wniesionych na opracowanej dla tego terenu mapie zasadniczej, a kolidującej z planowanym zagospodarowaniem. Nabywca przejmie nieruchomość w stanie istniejącym.
4. Na podstawie art. 678 ustawy z dnia 23 kwietnia 1963 roku Kodeks cywilny nabywca nieruchomości przejmuje prawa i obowiązki wydzierżawiającego wynikające z zapisów zawartych umów. Nabywca przejmie na siebie także roszczenia i obowiązki wynikające co do wybudowania części budynku i budowli.
5. W zakresie niezbędnym do prawidłowego funkcjonowania i zagospodarowania nieruchomości jej nabywca własnym staraniem i na własny koszt zobowiązany będzie, w razie takiej konieczności, do uzyskania zezwolenia i dokonania wycinki istniejącej zieleni.
6. Nieruchomość sprzedawana jest zgodnie z wyrysem z mapy zasadniczej oraz wypisem z ewidencji gruntów i budynków wydanym przez Wydział Geodezji Urzędu Miasta Mysłowice. W przypadku ewentualnej potrzeby okazania granic nabywca ustali warunki tego okazania z wybranym przez siebie geodetą. Okazanie granic nastąpi na koszt nabywcy.
7. Nabywca z dniem podpisania umowy sprzedaży przenoszącej prawo własności wchodzi w prawa i obowiązki wydzierżawiającego w umowach, w których przedmiotem są działki o numerach 2897/243, 2900/244, 2898/261, 2762/185.
Treść nin. ogłoszenia dostępna jest na stronie internetowej w Biuletynie Informacji Publicznej www.bip.myslowice.pl/nieruchomości/ogłoszenia o przetargach na sprzedaż lub dzierżawę nieruchomości lub www.bip.myslowice.pl/przetargi na nieruchomości oraz www.myslowice.pl/ nieruchomości na sprzedaż/ ogłoszenia o przetargach na sprzedaż lub dzierżawę nieruchomości a także na tablicy ogłoszeń w siedzibie Urzędu Miasta Mysłowice przy ul. Powstańców 1 (na II piętrze) obok pok. 302. Szczegółowych informacji nt. przetargu można uzyskać w Wydziale Gospodarki Nieruchomościami tel. 32 31 71 236 (pok. 311), w którym znajduje się dokumentacja zbywanej nieruchomości. Szczegółowych informacji o możliwości zabudowy i zagospodarowania działki można uzyskać w Wydziale Architektury, Planowania i Strategii Urzędu Miasta w Mysłowicach tel. 32 31 71 320 (w godz. pracy urzędu).









