2023
PREZYDENT MIASTA MYSŁOWICE
ogłasza ustny przetarg ograniczony
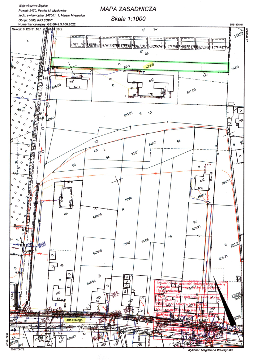
na sprzedaż nieruchomości niezabudowanej, stanowiącej własność Gminy Mysłowice, położonej w Mysłowicach w rejonie ulicy Orła Białego (obok Nr 57E), obejmującej działkę nr 105/59 o pow. 1040 m2, na arkuszu mapy 5 obrębu 0005 Krasowy, zapisanej w księdze wieczystej nr KA1L/00024752/3 Sądu Rejonowego w Mysłowicach. Przedmiotowa nieruchomość nie posiada opracowanego miejscowego planu zagospodarowania przestrzennego, a w obowiązującym Studium uwarunkowań i kierunków zagospodarowania przestrzennego miasta Mysłowice, uchwalonym przez Radę Miasta Mysłowice, uchwałą Nr L/761/21 z dnia 21 grudnia 2021 roku, położona jest w strefie ozn. symbolem MN - obszary zabudowy mieszkaniowej jednorodzinnej oraz w niewielkiej części KDZ – obszary dróg publicznych – klasy zbiorczej. Zagospodarowanie nin. nieruchomości może nastąpić na podstawie szczegółowych warunków, które zostaną określone w decyzji o warunkach zabudowy, wydanej na wniosek nabywcy. Ze względu na geometrię działki (ok.7mx170 m) oraz, co istotne, na lokalizację drogi dojazdowej wzdłuż węższej linii granicznej, nie ma możliwości jej racjonalnego zabudowania budynkiem. Zbywana nieruchomość nie ma przymiotu nieruchomości do wykorzystania i zagospodarowania jako odrębna i samodzielna nieruchomość. Działka może służyć na poprawienie warunków zagospodarowania nieruchomości do niej przyległych. Nin. działka zostanie sprzedana w drodze ustnego przetargu ograniczonego do właścicieli i użytkowników wieczystych nieruchomości bezpośrednio przyległych i każda z tych osób ma prawo ubiegać się o nabycie przedmiotowego gruntu gminnego. Sprzedaż następuje w drodze przetargu ustnego ograniczonego do osób fizycznych i prawnych legitymujących się tytułem prawnym do nieruchomości bezpośrednio przyległych do niej i jest ważny bez względu na liczbę uczestników, jeżeli przynajmniej jeden uczestnik przetargu zaoferuje co najmniej jedno postąpienie powyżej ceny wywoławczej nieruchomości. O wysokości postąpienia decydują uczestnicy przetargu z tym, że postąpienie w przetargu nie może wynosić mniej niż 1% ceny wywoławczej nieruchomości z zaokrągleniem w górę do pełnych dziesiątek złotych. Działy III i IV księgi wieczystej prowadzonej dla wyżej wym. działki nie zawierają wpisów.
Cena wywoławcza nieruchomości wynosi 116.000,-zł
(słownie: sto szesnaście tysięcy złotych).
Cena osiągnięta w przetargu za nieruchomość podlega zapłacie w całości, nie później niż do dnia zawarcia umowy przenoszącej własność nieruchomości, gdzie za potwierdzenie wpłaty przyjmuje się datę uznania rachunku bankowego Urzędu Miasta Mysłowice, wskazanego w zawiadomieniu o miejscu i terminie zawarcia umowy sprzedaży. Sprzedaż nieruchomości może podlegać, zgodnie z przepisami, opodatkowaniu podatkiem VAT według stawki obowiązującej na dzień sprzedaży. Na dzień ogłaszania przetargu, sprzedaż nin. działki zwolniona jest od podatku VAT na podstawie art. 43 ust. 1 pkt 9 ustawy z dnia 11 marca 2004 r. o podatku od towarów i usług (tekst jednolity Dz.U. z 2023 r. poz. 1570 z późn. zm.), w związku z art. 2 pkt 33 tej ustawy.
Osoby do których przetarg został ograniczony, zainteresowane uczestnictwem w przetargu, zobowiązane są do wniesienia wadium w pieniądzu w wysokości 23.200,-zł (słownie: dwadzieścia trzy tysiące dwieście złotych), wpłacając je na konto depozytowe Urzędu Miasta Mysłowice Nr 13 1050 1214 1000 0023 5654 6974 ING Bank Śląski, najpóźniej do dnia 7 listopada 2023 r. z podaniem ww. numeru działki. Za datę wniesienia wadium uważa się datę wpływu środków pieniężnych na powyższy rachunek bankowy.
Osoby te powinny również do dnia 8 listopada 2023 r. do godz. 10.00 w pokoju nr 311 Urzędu Miasta Mysłowice w Wydziale Gospodarki Nieruchomościami, złożyć w zamkniętej kopercie z napisem „Przetarg ustny ograniczony – nieruchomość w rejonie ul. Orła Białego”, dowody potwierdzające spełnienie warunków przetargu tj.:
1. Pisemne zgłoszenie uczestnictwa w ustnym przetargu ograniczonym, zawierające imiona i nazwiska wszystkich właścicieli lub współwłaścicieli nieruchomości przyległych bądź użytkowników wieczystych, serie i numery dowodów osobistych oraz oświadczenie o posiadaniu tytułu prawnego do nieruchomości, przyległej do nieruchomości będącej przedmiotem przetargu.
2. Aktualny odpis z księgi wieczystej prowadzonej dla nieruchomości przyległej do gruntu Gminy Mysłowice.
3. Mapę ewidencyjną, wydaną przez Wydział Geodezji Urzędu Miasta Mysłowice, potwierdzającą zapisy w księdze wieczystej.
4. Kserokopię dowodu wniesienia wadium.
5. Aktualny wypis lub zaświadczenie z właściwego rejestru wystawione nie wcześniej niż 6 miesięcy przed upływem terminu przetargu w przypadku, gdy nieruchomość będzie nabywana przez uczestnika przetargu w ramach prowadzonej działalności gospodarczej, a w przypadku wspólników spółek cywilnych także umowę spółki cywilnej.
6. Oryginał pełnomocnictwa potwierdzonego notarialnie, upoważniającego do działania na każdym etapie postępowania przetargowego, w przypadku osoby reprezentującej uczestnika przetargu.
7. Pisemną zgodę współmałżonka na odpłatne nabycie nieruchomości, w przypadku uczestnika przetargu zamierzającego samodzielnie licytować nieruchomość nabywaną do majątku wspólnego.
8. Oświadczenie, że oferent zapoznał się z opiniami i dokumentami dotyczącymi zbywanej nieruchomości, jej stanem faktycznym i prawnym oraz warunkami przetargu i przyjmuje je bez zastrzeżeń
9. Oświadczenie, że oferent wyraża zgodę na przetwarzanie swoich danych osobowych, w tym również ich udostępnienie do publicznej wiadomości w zakresie zbycia przedmiotowej nieruchomości w drodze przetargu.
10. Numer i nazwę rachunku bankowego, na które zostanie zwrócone wadium, w przypadku nie wygrania przetargu.
Komisja Przetargowa w dniu 8 listopada 2023 r. sprawdzi, czy oferenci spełniają warunki przetargowe i zakwalifikuje ich do uczestnictwa w przetargu. Lista osób zakwalifikowanych do uczestnictwa w przetargu zostanie w dniu 9 listopada 2023 r. zamieszczona w Biuletynie Informacji Publicznej www.bip.myslowice.pl/nieruchomości/wykaz podmiotów dopuszczonych do przetargu ograniczonego na zbycie nieruchomości oraz wywieszona na II piętrze w siedzibie Urzędu Miasta Mysłowice na tablicy ogłoszeń Wydziału Gospodarki Nieruchomościami.
Nabycie nieruchomości przez cudzoziemców może nastąpić w przypadku uzyskania zezwolenia ministra właściwego do spraw wewnętrznych, jeżeli wymagają tego przepisy ustawy z dnia 24 marca 1920 r. o nabywaniu nieruchomości przez cudzoziemców. Nabywca zobowiązany jest do ustalenia we własnym zakresie, czy nabycie nieruchomości będącej przedmiotem przetargu wymaga uzyskania zezwolenia.
Przetarg odbędzie się w dniu 14 listopada 2023 r. o godz. 10.00 w sali nr 204
Urzędu Miasta w Mysłowicach przy ul. Powstańców 1.
Przed otwarciem przetargu (w dniu przetargu) jego uczestnik winien przedłożyć Komisji Przetargowej:
1) Dowód wniesienia wadium (oryginał).
2) Dokument tożsamości.
Wadium wpłacone przez uczestnika przetargu, który przetarg wygra zostanie zaliczone na poczet ceny nabycia nieruchomości, w dniu zapłaty reszty ceny sprzedaży. Pozostałym uczestnikom przetargu wadium jest zwracane w terminie 3 dni od dnia zamknięcia przetargu (bez oprocentowania), na konto przez nich wskazane. Organizator przetargu jest obowiązany zawiadomić osobę ustaloną jako nabywca nieruchomości o miejscu i terminie zawarcia umowy sprzedaży, najpóźniej w ciągu 21 dni od dnia rozstrzygnięcia przetargu. Wyznaczony termin nie może być krótszy niż 7 dni od dnia doręczenia zawiadomienia. Jeżeli osoba ustalona jako nabywca nieruchomości nie przystąpi bez usprawiedliwienia do zawarcia umowy w miejscu i w terminie podanych w zawiadomieniu, organizator przetargu może odstąpić od zawarcia umowy, a wpłacone wadium nie podlega zwrotowi.
Dodatkowe informacje dot. zbywanej nieruchomości oraz warunki realizacji zamierzeń inwestycyjnych:
1. Zbywana działka jest niezabudowana, położona w Mysłowicach – Krasowach w rejonie ulicy Orła Białego (obok Nr 57E), przeznaczona do sprzedaży w drodze ustnego przetargu ograniczonego do osób fizycznych i prawnych legitymujących się tytułem prawnym do nieruchomości bezpośrednio przyległych do niej, na cele zgodne z zapisami obowiązującego wyżej wym. studium. Działka o regularnym kształcie prostokąta, mocno wydłużona i wąska, kształt mający negatywny wpływ na możliwości zagospodarowania nieruchomości. Działka posiada bezpośredni dostęp do drogi publicznej od strony zachodniej - bocznej ul. Orła Białego. Zachodnią część działki, wzdłuż drogi, przecina sieć gazowa, a w zachodniej jej granicy przebiega podziemna sieć energetyczna. Nadto w południowo – zachodnim rogu działki zlokalizowany jest słup energetyczny. Nabywca zobowiązany będzie zapewnić właścicielom sieci dostęp do sieci i urządzeń uzbrojenia terenu, celem przeprowadzenia konserwacji lub usunięcia awarii. Nabywca przejmie nieruchomość w stanie istniejącym.
2. W przypadku wystąpienia w obrębie nabytej działki sieci nie ujawnionych na istniejących mapach i dokumentach, a kolidujących z inwestycją, jak też wystąpienia zmian w przepisach w tym dotyczących zagospodarowania przestrzennego, Miasto Mysłowice nie będzie ponosiło z tego tytułu żadnej odpowiedzialności.
3. Nieruchomość sprzedawana jest zgodnie z wyrysem z mapy zasadniczej oraz wypisem z ewidencji gruntów i budynków wydanym przez Wydział Geodezji Urzędu Miasta Mysłowice. W przypadku ewentualnej potrzeby okazania granic, nabywca ustali warunki tego okazania z wybranym przez siebie geodetą. Okazanie granic nastąpi na koszt i staraniem nabywcy.
4. Nabywca zobowiązany również będzie do poniesienia w całości kosztów notarialnych oraz kosztów i opłat sądowych związanych z nabyciem nieruchomości.
Treść nin. ogłoszenia dostępna jest na stronie internetowej w Biuletynie Informacji Publicznej www.bip.myslowice.pl/nieruchomości/ogłoszenia o przetargach na sprzedaż lub dzierżawę nieruchomości/aktualne przetargi lub www.bip.myslowice.pl/przetargi na nieruchomości oraz www.myslowice.pl/nieruchomości/ogłoszenia o przetargach na sprzedaż lub dzierżawę nieruchomości/aktualne przetargi, a także na tablicy ogłoszeń w siedzibie Urzędu Miasta Mysłowice przy ul. Powstańców 1 (na II piętrze) obok pok. 302. Szczegółowych informacji nt. przetargu można uzyskać w Wydziale Gospodarki Nieruchomościami tel. 32 31 71 236 (pok. 311), w którym znajduje się dokumentacja zbywanej nieruchomości. Szczegółowych informacji o możliwości zabudowy i zagospodarowania działki można uzyskać w Wydziale Architektury, Planowania i Strategii Urzędu Miasta w Mysłowicach tel. 32 31 71 320 (w godz. pracy urzędu).
mapa zasadnicza (965.53 KB)









